Votre courriel a été envoyé.
122 Emmitsburg Rd - Mechanicstown 31 Lots Thurmont Maryland Lot • Résidentiel • 19,4 Acres • Thurmont, MD 21788


Certaines informations ont été traduites automatiquement.
Faits saillants de l'investissement
- residential development
- Approved Lots ready to build
- New homes subdivision
Résumé de l'annonce
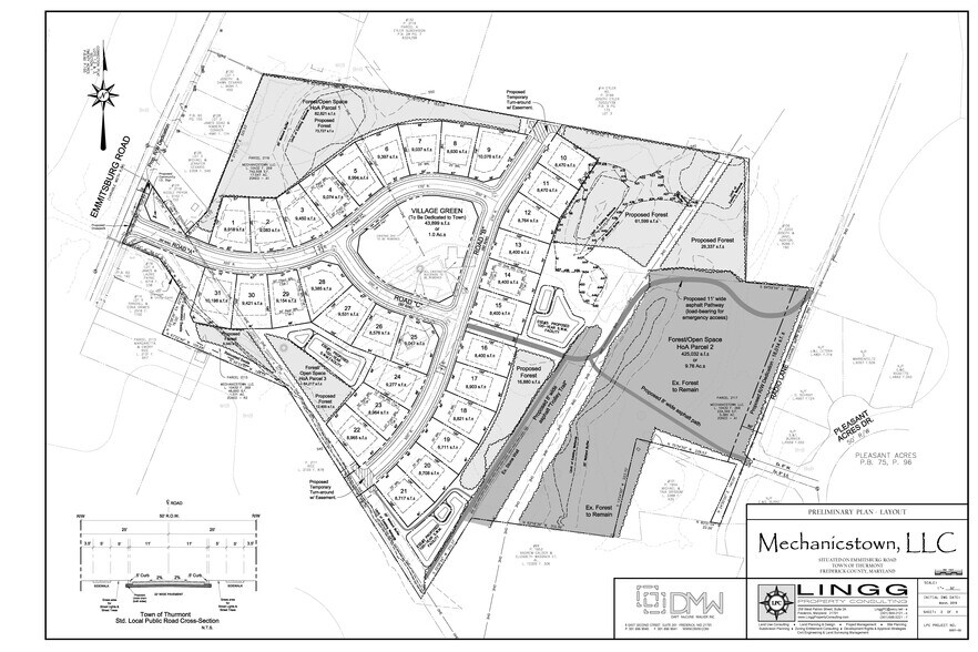
Ready-to-build 31-lot subdivision located within the city limits of Thurmont at the base of the Catoctin Mountains. Homes could range from $500K to low $600K, offering a perfect blend of scenic beauty and modern living. Enjoy Thurmont’s quaint small-town charm, local shops, and community atmosphere, while being conveniently close to Frederick, Baltimore, and Washington, D.C.. With stunning mountain views and development-ready lots, this property presents a rare opportunity to create a vibrant residential community in one of Maryland’s most desirable small towns.
Faits sur la propriété
| Type de vente | Investissement ou propriétaire utilisateur | Sous-type de propriété | Résidentiel |
| Condition de vente | Ventes de portefeuille | Utilisation proposée | Développement familial unique |
| Nombre de lots | 1 | Taille totale du lot | 19,72 AC |
| Type de propriété | Terrain | Année de construction | 1900 |
| Zonage | R2 - moderate-density residential development | ||
| Type de vente | Investissement ou propriétaire utilisateur |
| Condition de vente | Ventes de portefeuille |
| Nombre de lots | 1 |
| Type de propriété | Terrain |
| Sous-type de propriété | Résidentiel |
| Utilisation proposée | Développement familial unique |
| Taille totale du lot | 19,72 AC |
| Année de construction | 1900 |
| Zonage | R2 - moderate-density residential development |
1 Lot disponible
Lot
| Taille du lot | 19,40 AC |
| Taille du lot | 19,40 AC |
31-Lot Development ready Thurmont, MD the total site is 19.4 ac with lots ranging in size from 8,400 sf to 10,000sf with lot frontages from 67' to 97'. Site plan and improvement plan approved ready for recordation. Bulk sale
Description
Possibilité de développement de 31 lots – Thurmont, MD. Le site total couvre 19,4 acres avec des lots allant de 780 m² à 930 m² et des façades de terrain de 20 m à 30 m. Le plan d’aménagement et le plan d’amélioration sont approuvés et prêts pour l’enregistrement. Vente en bloc. La subdivision est située dans les limites de la ville de Thurmont, au pied des montagnes de Catoctin. Les maisons pourraient se vendre entre 500 000 $ et 600 000 $, offrant un mélange parfait de beauté naturelle et de vie moderne. Profitez du charme pittoresque de Thurmont, de ses boutiques locales et de son atmosphère communautaire, tout en étant à proximité de Frederick, Baltimore et Washington, D.C. Avec des vues imprenables sur les montagnes et des terrains prêts à être développés, cette propriété représente une occasion rare de créer une communauté résidentielle dynamique dans l’une des petites villes les plus prisées du Maryland.
Impôts fonciers
| Numéro de lot | 15-340487 | Évaluation des bâtiments | 0 $ CAD |
| Évaluation du terrain | 0 $ CAD | Évaluation totale | 534 702 $ CAD |
Impôts fonciers
Présenté par
122 Emmitsburg Rd - Mechanicstown 31 Lots Thurmont Maryland
Hmm, il semble y avoir eu une erreur lors de l’envoi de votre message. Veuillez réessayer.
Merci! Votre message a été envoyé.
