Se Connecter/S’inscrire
Votre courriel a été envoyé.
1225 Ritner Hwy 32 000 pi² 100% Loué Commerce de détail Immeuble Carlisle, PA 17013 3 443 275 $ CAD (107,60 $ CAD/pi²)



Certaines informations ont été traduites automatiquement.
FAITS SAILLANTS DE L'INVESTISSEMENT
- Très visible sur la route Ritner (alias US11)
- Deux coupes sur les bordures
- Convient également comme opportunité pour les investisseurs en prolongeant les baux en cours ou en renouvelant
- Stationnement abondant à 5,78 surfaces par 1 000 SF GLA
- Possibilité pour l'acquéreur propriétaire-occupant immédiat
RÉSUMÉ DE L'ANNONCE
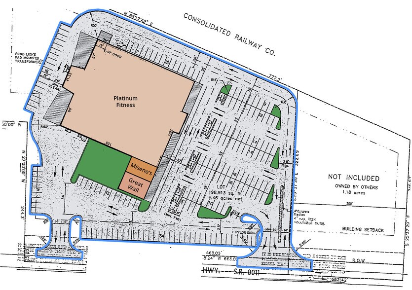
Colliers est le mandataire exclusif du propriétaire pour commercialiser et vendre cette propriété locative brute de 32 000 pieds carrés,
initialement ancrée par Food Lion Supermarket, au 1225 Ritner Highway à Carlisle, en Pennsylvanie, en 17103. Le prix suggéré est de 2 500 000$, soit environ 78$ par pied carré de GLA.
La propriété de 4,47 acres offre 450 pieds linéaires de façade sur la très fréquentée Ritner Highway (alias West High Street et
NOUS 11).
1225 Ritner est adjacent au Dickinson College, aux Carlisle Companies (CSL) cotées à la Bourse de New York, et au cœur de
Arrondissement de Carlisle.
Les échanges avec les I-76 et I-81 à moins de quatre milles et deux milles de la propriété ont stimulé
développement de 26 000 000 pieds carrés de distribution industrielle dans un rayon de cinq milles.
La propriété est maintenant entièrement occupée par trois locataires. Platinum Fitness occupe 29 000 pi2 dans le cadre d'un bail mensuel, le bail de Great Wall Chinese pour 1 500 pi2 expire le 31 décembre 2025 et le bail de 1 500 pi3 de Miseno's Pizza s'étend jusqu'au 31/08/2037. Cette situation crée des occasions pour un acquéreur propriétaire-occupant de licencier rapidement et facilement les deux locataires occupant 30 500 pi2. Alternativement, un acheteur investisseur peut prolonger les modalités du bail ou remplacer ces locataires MTM par de nouveaux locataires au taux du marché.
initialement ancrée par Food Lion Supermarket, au 1225 Ritner Highway à Carlisle, en Pennsylvanie, en 17103. Le prix suggéré est de 2 500 000$, soit environ 78$ par pied carré de GLA.
La propriété de 4,47 acres offre 450 pieds linéaires de façade sur la très fréquentée Ritner Highway (alias West High Street et
NOUS 11).
1225 Ritner est adjacent au Dickinson College, aux Carlisle Companies (CSL) cotées à la Bourse de New York, et au cœur de
Arrondissement de Carlisle.
Les échanges avec les I-76 et I-81 à moins de quatre milles et deux milles de la propriété ont stimulé
développement de 26 000 000 pieds carrés de distribution industrielle dans un rayon de cinq milles.
La propriété est maintenant entièrement occupée par trois locataires. Platinum Fitness occupe 29 000 pi2 dans le cadre d'un bail mensuel, le bail de Great Wall Chinese pour 1 500 pi2 expire le 31 décembre 2025 et le bail de 1 500 pi3 de Miseno's Pizza s'étend jusqu'au 31/08/2037. Cette situation crée des occasions pour un acquéreur propriétaire-occupant de licencier rapidement et facilement les deux locataires occupant 30 500 pi2. Alternativement, un acheteur investisseur peut prolonger les modalités du bail ou remplacer ces locataires MTM par de nouveaux locataires au taux du marché.
SALLE DE DONNÉES Cliquez ici pour accéder à
FAITS SUR LA PROPRIÉTÉ Sous contrat
Type de vente
Investissement ou propriétaire utilisateur
Type de propriété
Commerce de détail
Sous-type de propriété
Taille du bâtiment
32 000 pi²
Classe d’immeuble
C
Année de construction
1993
Prix
3 443 275 $ CAD
Prix par pi²
107,60 $ CAD
Pourcentage loué
100%
Location
Multiples
Hauteur du bâtiment
1 étage
Quais de chargement
3 Extérieur
Coefficient d’occupation des sols de l’immeuble
0,16
Taille du lot
4,47 AC
Zonage
C3 General Commercial - Arrondissement de Carlisle 2003
Stationnement
185 places (5,78 places par 1 000 pi² loué)
Façade
450’ sur Ritner Highway
COMMODITÉS
- Enseigne sur pylône
PRINCIPAUX LOCATAIRES Cliquez ici pour accéder à
- LOCATAIRE
- SECTEUR
- pi² OCCUPÉ
- LOYER/pi²
- TYPE DE BAIL
- FIN DU BAIL
- Great Wall Restaurant
- Hébergement et services alimentaires
-
99,999 SF
- -
-
Lorem Ipsum
- -
- Miseno's Pizza & Ristorante
- Hébergement et services alimentaires
-
99,999 SF
- -
-
Lorem Ipsum
-
Jan 0000
- Platinum Fitness
- Arts, divertissement et loisirs
-
99,999 SF
- -
-
Lorem Ipsum
- -
| LOCATAIRE | SECTEUR | pi² OCCUPÉ | LOYER/pi² | TYPE DE BAIL | FIN DU BAIL | |
| Great Wall Restaurant | Hébergement et services alimentaires | 99,999 SF | - | Lorem Ipsum | - | |
| Miseno's Pizza & Ristorante | Hébergement et services alimentaires | 99,999 SF | - | Lorem Ipsum | Jan 0000 | |
| Platinum Fitness | Arts, divertissement et loisirs | 99,999 SF | - | Lorem Ipsum | - |
PRINCIPAUX DÉTAILLANTS À PROXIMITÉ
Impôts fonciers
| Numéro de lot | 49-08-0579-016 | Évaluation des bâtiments | 4 652 067 $ CAD |
| Évaluation du terrain | 809 209 $ CAD | Évaluation totale | 5 461 276 $ CAD |
Impôts fonciers
Numéro de lot
49-08-0579-016
Évaluation du terrain
809 209 $ CAD
Évaluation des bâtiments
4 652 067 $ CAD
Évaluation totale
5 461 276 $ CAD
1 de 17
VIDÉOS
VISITE EXTÉRIEURE 3D MATTERPORT
VISITE 3D MATTERPORT
PHOTOS
VUE DEPUIS LA RUE
RUE
CARTE
Présenté par
1225 Ritner Hwy
Vous êtes déjà membre? Connectez-vous
Hmm, il semble y avoir eu une erreur lors de l’envoi de votre message. Veuillez réessayer.
Merci! Votre message a été envoyé.
