Se Connecter/S’inscrire
Votre courriel a été envoyé.
Certaines informations ont été traduites automatiquement.
Faits sur la propriété
| Type de vente | Investissement ou propriétaire utilisateur | Année de construction/rénovation | 1975/2018 |
| Type de propriété | Industriel | Location | Unique |
| Sous-type de propriété | Entrepôt | Ratio de stationnement | 1,11/1 000 pi² |
| Classe d’immeuble | C | Effacer hauteur du plafond | 18’ |
| Taille du lot | 0,80 AC | Nbre de quais à portes élevées/de chargement | 1 |
| Aire du bâtiment louable | 18 000 pi² | Nbre d’entrées dans les portes/au niveau du sol | 4 |
| Nombre d’étages | 1 | Zone de développement économique |
Oui
|
| Zonage | LI - Industriel léger et résidentiel | ||
| Type de vente | Investissement ou propriétaire utilisateur |
| Type de propriété | Industriel |
| Sous-type de propriété | Entrepôt |
| Classe d’immeuble | C |
| Taille du lot | 0,80 AC |
| Aire du bâtiment louable | 18 000 pi² |
| Nombre d’étages | 1 |
| Année de construction/rénovation | 1975/2018 |
| Location | Unique |
| Ratio de stationnement | 1,11/1 000 pi² |
| Effacer hauteur du plafond | 18’ |
| Nbre de quais à portes élevées/de chargement | 1 |
| Nbre d’entrées dans les portes/au niveau du sol | 4 |
| Zone de développement économique |
Oui |
| Zonage | LI - Industriel léger et résidentiel |
Commodités
- Terrain clôturé
- Système de sécurité
- Affichage
Services publics
- Eau
- Égout
1 1
Assez accessible à pied
40/100
Exceptionnellement adapté aux voitures
90/100
Transports en commun limités
30/100
Relativement accessible en vélo
30/100
Impôts fonciers
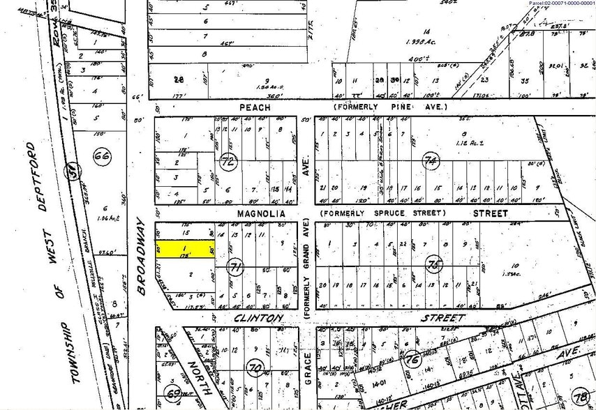
| Numéro de lot | 02-00071-0000-00001 | Évaluation des bâtiments | 926 937 $ CAD |
| Évaluation du terrain | 89 855 $ CAD | Évaluation totale | 1 016 792 $ CAD |
Impôts fonciers
Numéro de lot
02-00071-0000-00001
Évaluation du terrain
89 855 $ CAD
Évaluation des bâtiments
926 937 $ CAD
Évaluation totale
1 016 792 $ CAD
1 de 16
Vidéos
Visite extérieure 3D Matterport
Visite 3D Matterport
Photos
Vue depuis la rue
Rue
Carte
1 de 1
Présenté par
1229 Broadway Ave
Vous êtes déjà membre? Connectez-vous
Hmm, il semble y avoir eu une erreur lors de l’envoi de votre message. Veuillez réessayer.
Merci! Votre message a été envoyé.



