Votre courriel a été envoyé.
1237-1265W Yosemite Pky - Development Opportunity Lot • Terrain commercial • 11,98 Acres • 6 165 000 $ CAD • Merced, CA 95340


Certaines informations ont été traduites automatiquement.
Faits saillants de l'investissement
- Flexibility in terms of potential development
- Site was previously entitled for a 220 unit multifamily community which the City of Merced remains open to approval
- Site location within a growing residential neighborhood
Résumé de l'annonce
Current zoning offers flexibility in terms of potential development. The site was previously entitled for a 220 unit multifamily community.
Property is located within the Highest Resource Zone and a Difficult to Develop Area (DDA) making it appealing for an affordable housing project.
Site location is within a growing residential neighborhood, offering close proximity to retail services, employment, local schools and a regional medical center. Newly opened ARCO AM/PM gas station and convenience store along with Starbucks is a short stroll from the site.
Faits sur la propriété
| Prix | 6 165 000 $ CAD | Sous-type de propriété | Terrain commercial |
| Type de vente | Investissement | Utilisation proposée | Commercial |
| Nombre de lots | 1 | Taille totale du lot | 11,98 AC |
| Type de propriété | Terrain | ||
| Zonage | Vacant Land - Commercial - Terrain vacant - Commercial | ||
| Prix | 6 165 000 $ CAD |
| Type de vente | Investissement |
| Nombre de lots | 1 |
| Type de propriété | Terrain |
| Sous-type de propriété | Terrain commercial |
| Utilisation proposée | Commercial |
| Taille totale du lot | 11,98 AC |
| Zonage | Vacant Land - Commercial - Terrain vacant - Commercial |
1 Lot disponible
Lot
| Prix | 6 165 000 $ CAD | Taille du lot | 11,98 AC |
| Prix par AC | 514 607,68 $ CAD |
| Prix | 6 165 000 $ CAD |
| Prix par AC | 514 607,68 $ CAD |
| Taille du lot | 11,98 AC |
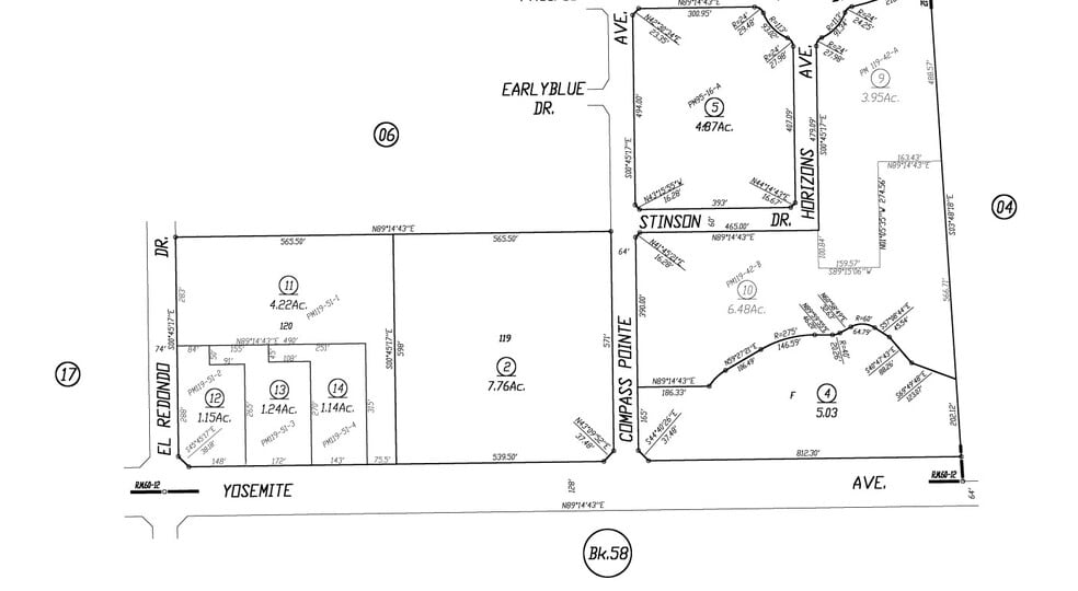
- +/-11.98 Acre Development Site comprising two separate parcels - Zoning & Permitted uses - Vacant Land - Commercial - Flood Zone Designation - AE - In a Special Flood Zone Area - Highest Resource Zone and a Difficult to Develop Area (DDA)
Description
Nous recherchons un promoteur qualifié pour acquérir ce site de développement d'environ 11,98 acres comprenant deux parcelles distinctes. Le propriétaire est flexible concernant les deux parcelles et est prêt à envisager de les diviser. Le zonage actuel offre une flexibilité en termes de développement potentiel. Le site avait précédemment reçu l'autorisation pour une communauté multifamiliale de 220 unités. L'emplacement du site se trouve dans un quartier résidentiel en pleine croissance, offrant une proximité avec les services de vente au détail, l'emploi, les écoles locales et un centre médical régional. Une station-service ARCO AM/PM et un dépanneur nouvellement ouverts, ainsi qu'un Starbucks, se trouvent à quelques pas du site.
Impôts fonciers
| Numéros de lot | Évaluation des bâtiments | 0 $ CAD | |
| Évaluation du terrain | 6 569 017 $ CAD | Évaluation totale | 6 569 017 $ CAD |
Impôts fonciers
Présenté par
1237-1265W Yosemite Pky - Development Opportunity
Hmm, il semble y avoir eu une erreur lors de l’envoi de votre message. Veuillez réessayer.
Merci! Votre message a été envoyé.
