Votre courriel a été envoyé.
Pearl City Land 1240 Kuala St Terrain à louer de 0,8 acres • Terrain industriel • Pearl City, HI 96782



Certaines informations ont été traduites automatiquement.
LOT Disponible
Afficher les taux de location en
| Taux de location |
|
Taille du lot | 0,80 AC |
| Durée du bail | 20 ans |
| Taux de location | |
| Durée du bail | 20 ans |
| Taille du lot | 0,80 AC |
APERÇU DE LA PROPRIÉTÉ
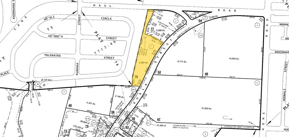
Colliers est heureux de présenter un bail de terrain rare sur environ 34 925 pieds carrés dans Pearl City densément peuplé. Il s'agit d'un lieu potentiel d'entraînement et d'une chance d'être situé à côté de Raising Cane's Chicken Fingers. Il s'agit d'un emplacement idéal sur la rue Kuala, où le nombre de véhicules dépassent 28 500 véhicules par jour au cœur du centre de vente au détail de Pearl City ! Le site est situé à proximité des autoroutes H-1 et H-2 et de la route Kamehameha.
FAITS SUR LA PROPRIÉTÉ
Présenté par
Pearl City Land | 1240 Kuala St
Hmm, il semble y avoir eu une erreur lors de l’envoi de votre message. Veuillez réessayer.
Merci! Votre message a été envoyé.

