Se Connecter/S’inscrire
Votre courriel a été envoyé.
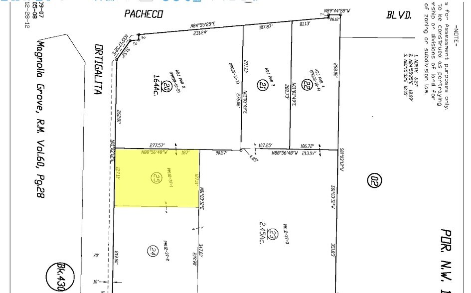
1245 W Pacheco Blvd
Los Banos, CA 93635
Ortigalita Plaza · Terrain À vendre
·
0,54 AC


Certaines informations ont été traduites automatiquement.
Résumé de l'annonce
0.54 acres available, for Sale or Ground Lease.
Faits sur la propriété
| Type de vente | Investissement | Sous-type de propriété | Terrain commercial |
| Nombre de lots | 1 | Utilisation proposée | Commerce de détail |
| Type de propriété | Terrain | Taille totale du lot | 0,54 AC |
| Zonage | Highway Commercial - Commerciale | ||
| Type de vente | Investissement |
| Nombre de lots | 1 |
| Type de propriété | Terrain |
| Sous-type de propriété | Terrain commercial |
| Utilisation proposée | Commerce de détail |
| Taille totale du lot | 0,54 AC |
| Zonage | Highway Commercial - Commerciale |
1 Lot disponible
Lot
| Taille du lot | 0,54 AC |
| Taille du lot | 0,54 AC |
0.54 Acres Retail pad.
Impôts fonciers
| Numéro de lot | 431-141-025 | Évaluation des bâtiments | 98 698 $ CAD |
| Évaluation du terrain | 160 624 $ CAD | Évaluation totale | 259 322 $ CAD |
Impôts fonciers
Numéro de lot
431-141-025
Évaluation du terrain
160 624 $ CAD
Évaluation des bâtiments
98 698 $ CAD
Évaluation totale
259 322 $ CAD
1 de 3
Vidéos
Visite extérieure 3D Matterport
Visite 3D Matterport
Photos
Vue depuis la rue
Rue
Carte
