Se Connecter/S’inscrire
Votre courriel a été envoyé.
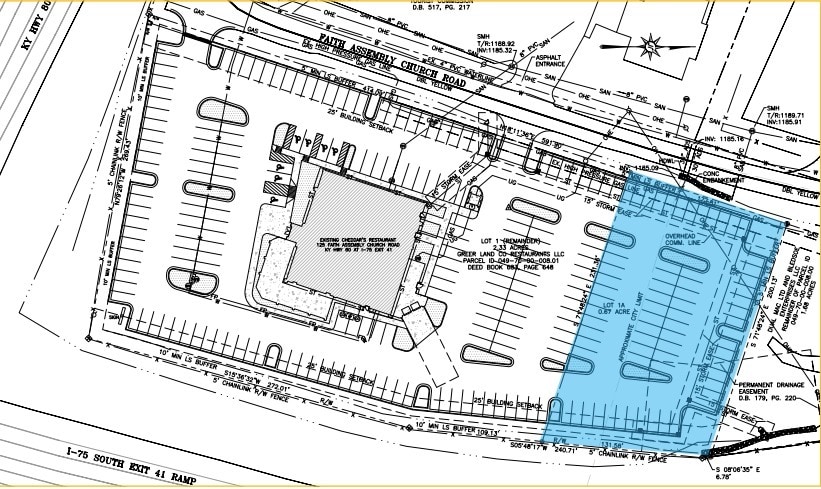
125 Faith Assembly Church Rd Terrain à louer de 0,7 acres • Terrain commercial • London, KY 40741



Certaines informations ont été traduites automatiquement.
LOT Disponible
Afficher les taux de location en
| Taux de location |
|
Taille du lot | 0,70 AC |
| Durée du bail | 1 - 10 ans |
| Taux de location | |
| Durée du bail | 1 - 10 ans |
| Taille du lot | 0,70 AC |
.7 acres available beside Cheddars Excellent visibility with major retailers close by.
Aperçu de la propriété
125 Faith Assembly Church Rd à Londres, Kentucky est un terrain commercial de 0,7 acre disponible à côté de Cheddars avec une excellente visibilité juste à côté de l'autoroute. Le lot est situé à environ 75 milles au sud de Lexington et est entouré de détaillants tels que Buffalo Wings & Rings, Cheddar's Scratch Kitchen, KFC, White Castle, Long John Silver's, Taco Bell, McDonalds, Community Trust Bank et plus.
Faits sur la propriété
| Superficie totale disponible | 0,70 AC | Sous-type de propriété | Terrain commercial |
| Type de propriété | Terrain | Utilisation proposée | Commercial |
| Superficie totale disponible | 0,70 AC |
| Type de propriété | Terrain |
| Sous-type de propriété | Terrain commercial |
| Utilisation proposée | Commercial |
1 1
1 de 4
Vidéos
Visite extérieure 3D Matterport
Visite 3D Matterport
Photos
Vue depuis la rue
Rue
Carte
1 de 1
Présenté par
125 Faith Assembly Church Rd
Vous êtes déjà membre? Connectez-vous
Hmm, il semble y avoir eu une erreur lors de l’envoi de votre message. Veuillez réessayer.
Merci! Votre message a été envoyé.
