Se Connecter/S’inscrire
Votre courriel a été envoyé.
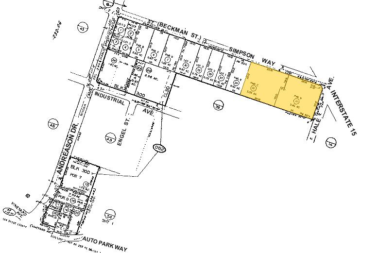
1265-1289 Simpson Way
Escondido, CA 92029
Bldg B · Industriel Propriété pour Bail
·
3 017 pi²


Certaines informations ont été traduites automatiquement.
CARACTÉRISTIQUES
Hauteur libre
20’
Baies d’entrée
10
Places de stationnement standard
24
FAITS SUR L’INSTALLATION SALLE D’EXPOSITION
Taille du bâtiment
29 726 pi²
Taille du lot
2,55 AC
Année de construction/rénovation
1975/1980
Construction
Béton renforcé
Alimentation électrique
Ampères: 200-5 000 Volts: 110-208 Phase: 3
Zonage
M-2
1 de 7
VIDÉOS
VISITE EXTÉRIEURE 3D MATTERPORT
VISITE 3D MATTERPORT
PHOTOS
VUE DEPUIS LA RUE
RUE
CARTE
