Se Connecter/S’inscrire
Votre courriel a été envoyé.
Certaines informations ont été traduites automatiquement.
Résumé de l'annonce
±2.31 AC across two parcels
• Parcel 1: ±0.95 AC – $600,000
• Parcel 2: ±1.36 AC – $850,000
Seller open to negotiation if acquired together
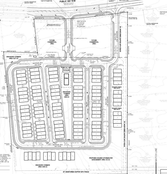
Located directly in front of a new 107-lot single-family residential community. Resi-built is building curb cuts, grading, and internal spine road as part of their development
Sewer & water available approx. 25 ft from Browns Bridge Rd with power overhead along frontage
Two monument sign locations secured via recorded easement
Strong visibility & direct access on Browns Bridge Rd
Suitable for Retail | QSR | Medical | Service | Neighborhood Commercial
• Parcel 1: ±0.95 AC – $600,000
• Parcel 2: ±1.36 AC – $850,000
Seller open to negotiation if acquired together
Located directly in front of a new 107-lot single-family residential community. Resi-built is building curb cuts, grading, and internal spine road as part of their development
Sewer & water available approx. 25 ft from Browns Bridge Rd with power overhead along frontage
Two monument sign locations secured via recorded easement
Strong visibility & direct access on Browns Bridge Rd
Suitable for Retail | QSR | Medical | Service | Neighborhood Commercial
Faits sur la propriété
1 Lot disponible
Lot 2
| Prix | 1 156 433 $ CAD | Taille du lot | 1,36 AC |
| Prix par AC | 850 318,74 $ CAD |
| Prix | 1 156 433 $ CAD |
| Prix par AC | 850 318,74 $ CAD |
| Taille du lot | 1,36 AC |
1 1
Assez practicable à pied
40/100
Exceptionnellement facile d'accès en voiture
100/100
Assez praticable en vélo
20/100
1 de 4
Vidéos
Visite extérieure 3D Matterport
Visite 3D Matterport
Photos
Vue depuis la rue
Rue
Carte
1 de 1
Présenté par
12766 Brown Bridge Rd
Vous êtes déjà membre? Connectez-vous
Hmm, il semble y avoir eu une erreur lors de l’envoi de votre message. Veuillez réessayer.
Merci! Votre message a été envoyé.



