Se Connecter/S’inscrire
Votre courriel a été envoyé.
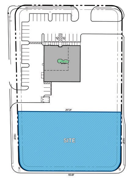
12800 Lomas Blvd
Albuquerque, NM 87123
12700 Lomas Blvd · Terrain À vendre
·
0,66 AC


Certaines informations ont été traduites automatiquement.
Faits sur la propriété
| Type de vente | Propriétaire utilisateur | Sous-type de propriété | Terrain commercial |
| Nombre de lots | 1 | Utilisation proposée | Commercial |
| Type de propriété | Terrain | Taille totale du lot | 0,66 AC |
| Zonage | MX-L - Usage mixte - Faible intensité | ||
| Type de vente | Propriétaire utilisateur |
| Nombre de lots | 1 |
| Type de propriété | Terrain |
| Sous-type de propriété | Terrain commercial |
| Utilisation proposée | Commercial |
| Taille totale du lot | 0,66 AC |
| Zonage | MX-L - Usage mixte - Faible intensité |
1 Lot disponible
Lot
| Prix | 294 277 $ CAD | Taille du lot | 0,66 AC |
| Prix par AC | 445 874,15 $ CAD |
| Prix | 294 277 $ CAD |
| Prix par AC | 445 874,15 $ CAD |
| Taille du lot | 0,66 AC |
Description
Joignez-vous à O'Reilly Auto Parts Possibilité de développement de commerces de détail et multifamiliaux Plusieurs détaillants nationaux à proximité Grande visibilité au large du boulevard Lomas avec des dénombrements de trafic supérieurs à 16 000 VPD
1 de 4
Vidéos
Visite extérieure 3D Matterport
Visite 3D Matterport
Photos
Vue depuis la rue
Rue
Carte
