Votre courriel a été envoyé.
12801-12813 Venice Blvd 1 858 pi² d'espace disponible • Commerce de détail • Los Angeles, CA 90066



Certaines informations ont été traduites automatiquement.
Faits saillants
- Vibrant, active retail hub
- Central HVAC, 10-foot ceilings, lighted storefront
- Recently painted exterior
- Lots of natural light and visibility
- Move-in ready or customize as desired
- Proactive site management
Disponibilité de l’espace (1)
Afficher les taux de location en
- Espace
- Taille
- Plafond
- Terme
- Taux de location
- Type de loyer
| Espace | Taille | Plafond | Terme | Taux de location | Type de loyer | |
| 1er étage, ste 12813 | 1 858 pi² | 11’ | Négociable | 56,73 $ CAD/pi²/an 4,73 $ CAD/pi²/mois 105 414 $ CAD/an 8 784 $ CAD/mois | Loyer hypernet |
1er étage, ste 12813
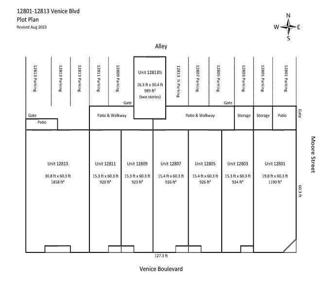
30 foot store front with about 25 feet of retail windows and double door. Open floor plan with a small kitchenette and separate storage or work room connected to roll up door. Currently a private patio extends off the back of the property, could be removed for direct access to roll up door and/or add parking. 3 parking included could be 4 to 5 if patio was removed, with a bonus space. Prior tenant finished concrete floor. Plenty of recessed lighting. Landlord is not offering any buildouts at this price. 100amp electrical service. Own water meter.
- Le taux de location ne comprend pas les services publics, les services de bâtiment ou les dépenses immobilières.
- Partiellement construit comme Espace de commerce de détail standard
- Situé en ligne avec d’autres commerces de détail
- Climatisation centrale
- Hauts plafonds
- Éclairage encastré
- Plafonds finis: 11’
- Installations WC abandonnées
- Open Floor Plan on Busy Retail Intersection
Types de loyers
Le type et le montant du loyer que le locataire (preneur) est tenu de payer au propriétaire (bailleur) sur la durée du bail sont négociés avant la signature du bail par les deux parties. Le type de loyer varie selon les services fournis. Par exemple, le prix d’un loyer hypernet est habituellement inférieur à celui d’un bail à service complet puisque le locataire est tenu d’assumer des dépenses additionnelles par rapport au loyer de base. Contactez le courtier inscripteur pour tout connaître sur les frais connexes et additionnels associés à chaque type de loyer.
1. Service complet: Un taux de location qui comprend des services standards liés à l’immeuble fournis par le propriétaire dans le cadre d’une location annuelle de base.
2. Loyer supernet: Le locataire paie seulement deux des frais de l’immeuble. Le propriétaire et le locataire déterminent ces frais spécifiques avant la signature du bail.
3. Loyer hypernet: Un bail en vertu duquel le locataire est responsable de tous les frais liés à sa part proportionnelle d’occupation de l’immeuble.
4. Brut modifié: Le loyer brut modifié désigne un type général de taux de location dans lequel le locataire est habituellement responsable de sa part proportionnelle d’un ou de plusieurs frais. C’est le propriétaire qui paie les frais restants. Considérez les structures tarifaires courantes suivantes applicables aux loyers bruts modifiés: 4. Plus les services: Un type de bail brut modifié suivant lequel le locataire est responsable de sa part proportionnelle des coûts des services publics, en plus du loyer. 4. Plus le nettoyage: Un type de bail brut modifié suivant lequel le locataire est responsable de sa part proportionnelle des coûts de nettoyage, en plus du loyer. 4. Plus l'électricité: Un type de bail brut modifié suivant lequel le locataire est responsable de sa part proportionnelle des coûts d’électricité, en plus du loyer. 4. Plus l’électricité et le nettoyage: Un type de bail brut modifié dans lequel le locataire est responsable de sa part proportionnelle des coûts d’électricité et de nettoyage, en plus du loyer. 4. Plus les services publics et le nettoyage: Un type de bail brut modifié dans lequel le locataire est responsable de sa part proportionnelle des coûts des services publics et de nettoyage, en plus du loyer. 4. Bail industriel brut: Un type de bail brut modifié dans lequel le locataire paie un ou plusieurs des frais, en plus du loyer. Le propriétaire et le locataire déterminent ces frais spécifiques avant la signature du bail.
5. L’électricité est à la charge du locataire: Le propriétaire paie pour tous les services et le locataire est responsable de sa propre utilisation de l’éclairage et des prises électriques dans l’espace qu’il occupe.
6. Négociable ou sur demande: Cette option est utilisée lorsque le contact de location ne précise pas le type de loyer ou de service.
7. À déterminer: À déterminer ; utilisé pour les immeubles dont le type de services ou de loyer n’est pas connu, souvent quand l’immeuble n’est pas encore construit.
Plan de site
Sélectionner des locataires à 12801-12813 Venice Blvd, Los Angeles, CA 90066
- Locataire
- Description
- Emplacements US
- Portée
- Beckfit
- Arts, divertissement et loisirs
- -
- -
- Floral Art
- Détaillant
- -
- -
- Glo Active
- Arts, divertissement et loisirs
- -
- -
- Maria, Kym & Company Hair Salon
- Services
- -
- -
- TaxPlus
- Finance et assurances
- -
- -
- Veganics
- Hébergement et services alimentaires
- -
- -
| Locataire | Description | Emplacements US | Portée |
| Beckfit | Arts, divertissement et loisirs | - | - |
| Floral Art | Détaillant | - | - |
| Glo Active | Arts, divertissement et loisirs | - | - |
| Maria, Kym & Company Hair Salon | Services | - | - |
| TaxPlus | Finance et assurances | - | - |
| Veganics | Hébergement et services alimentaires | - | - |
Faits sur la propriété
| Superficie totale disponible | 1 858 pi² | Superficie commerciale brute | 8 161 pi² |
| Type de propriété | Commerce de détail | Année de construction | 1947 |
| Sous-type de propriété | Bien à usage mixte | Ratio de stationnement | 1,1/1 000 pi² |
| Superficie totale disponible | 1 858 pi² |
| Type de propriété | Commerce de détail |
| Sous-type de propriété | Bien à usage mixte |
| Superficie commerciale brute | 8 161 pi² |
| Année de construction | 1947 |
| Ratio de stationnement | 1,1/1 000 pi² |
À propos de la propriété
This vibrant 12-unit retail block features a diverse mix of long-term tenants, including restaurants, a floral shop, a beauty salon, tax services, and other established businesses. Located on the north side of Venice Boulevard between Beethoven and Moore, this commercial intersection is a high-visibility, high-traffic area that has seen a significant resurgence in retail activity. It is conveniently located 2 miles from the beach and Marina Del Rey, less than 1 mile to Lincoln Blvd, and 1.5 miles to the 405 freeway. Each storefront features 80% floor-to-ceiling glass, maximizing natural light and street exposure to attract customers. Tenants are assigned individual parking spaces, and the property owner provides weekly maintenance and trash service. All units include private restrooms, with select spaces offering additional storage and private patios. This location offers a rare opportunity to join a well-maintained, prominent commercial hub in a thriving neighborhood at an affordable cost. Existing tenants have an average tenure of 9 years, with several in place for over 15 years.
- Affichage
- Intersection avec signalisation
- CVCA contrôlé par le locataire
- Détecteur de fumée
Principaux détaillants à proximité
Présenté par
12801-12813 Venice Blvd
Hmm, il semble y avoir eu une erreur lors de l’envoi de votre message. Veuillez réessayer.
Merci! Votre message a été envoyé.




