Se Connecter/S’inscrire
Votre courriel a été envoyé.
12880 Us-301 Hwy 4 620 pi² Commerce de détail Immeuble Dade City, FL 33525 1 446 176 $ CAD (313,03 $ CAD/pi²) 8,20% Taux de capitalisation



Certaines informations ont été traduites automatiquement.
RÉSUMÉ DE L'ANNONCE
Frontage on US 301, currently occupied as a medical facility with strong tenant. Ideal investment for long term land play on US 301.
FAITS SUR LA PROPRIÉTÉ
Type de vente
Investissement
Type de propriété
Commerce de détail
Sous-type de propriété
Immeuble de commerce
Taille du bâtiment
4 620 pi²
Classe d’immeuble
B
Année de construction/rénovation
1978/2010
Prix
1 446 176 $ CAD
Prix par pi²
313,03 $ CAD
Taux de capitalisation
8,20%
Revenu net d’exploitation
118 586 $ CAD
Location
Unique
Hauteur du bâtiment
1 étage
Coefficient d’occupation des sols de l’immeuble
0,15
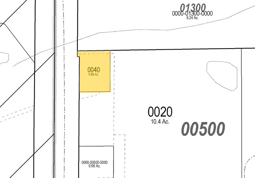
Taille du lot
0,69 AC
Zonage
C2 - General Commercial
Stationnement
40 places (8,66 places par 1 000 pi² loué)
Façade
129’ sur US 301
COMMODITÉS
- Enseigne sur pylône
- Affichage
- CVCA contrôlé par le locataire
PRINCIPAUX LOCATAIRES Cliquez ici pour accéder à
- LOCATAIRE
- SECTEUR
- pi² OCCUPÉ
- LOYER/pi²
- TYPE DE BAIL
- FIN DU BAIL
- Luminescence Therapy
- Services
- -
-
$9.99
-
Lorem Ipsum
-
Jan 0000
| LOCATAIRE | SECTEUR | pi² OCCUPÉ | LOYER/pi² | TYPE DE BAIL | FIN DU BAIL | |
| Luminescence Therapy | Services | - | $9.99 | Lorem Ipsum | Jan 0000 |
PRINCIPAUX DÉTAILLANTS À PROXIMITÉ
Impôts fonciers
| Numéro de lot | 02-25-21-0000-00500-0040 | Évaluation des bâtiments | 1 056 461 $ CAD |
| Évaluation du terrain | 325 915 $ CAD | Évaluation totale | 1 382 377 $ CAD |
Impôts fonciers
Numéro de lot
02-25-21-0000-00500-0040
Évaluation du terrain
325 915 $ CAD
Évaluation des bâtiments
1 056 461 $ CAD
Évaluation totale
1 382 377 $ CAD
1 de 9
VIDÉOS
VISITE EXTÉRIEURE 3D MATTERPORT
VISITE 3D MATTERPORT
PHOTOS
VUE DEPUIS LA RUE
RUE
CARTE
Présenté par
12880 Us-301 Hwy
Vous êtes déjà membre? Connectez-vous
Hmm, il semble y avoir eu une erreur lors de l’envoi de votre message. Veuillez réessayer.
Merci! Votre message a été envoyé.
