Se Connecter/S’inscrire
Votre courriel a été envoyé.
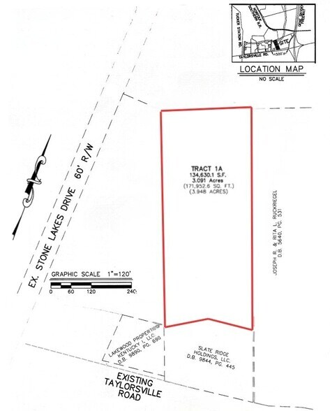
12901 Taylorsville Rd
Louisville, KY 40299
Terrain À louer


Certaines informations ont été traduites automatiquement.
Faits saillants
- Accès facile à l'échangeur de l'Interstate 265 et du chemin Taylorsville.
- Entouré d'un mélange de locataires de qualité comme Kroger, El Nopal, Cellular Advantage, Big League Hair Coupes et bien d'autres.
- Excellente possibilité de développement sur plusieurs lots.
Aperçu de la propriété
3 acres disponibles à la vente ou à la location. La propriété est zonée C-2 et les services publics, y compris les égouts, sont disponibles sur place. Faites une offre !
Faits sur la propriété
| Superficie totale disponible | 2,30 AC | Sous-type de propriété | Terrain commercial |
| Type de propriété | Terrain | Utilisation proposée | Commercial |
| Superficie totale disponible | 2,30 AC |
| Type de propriété | Terrain |
| Sous-type de propriété | Terrain commercial |
| Utilisation proposée | Commercial |
1 de 5
Vidéos
Visite extérieure 3D Matterport
Visite 3D Matterport
Photos
Vue depuis la rue
Rue
Carte
