Se Connecter/S’inscrire
Votre courriel a été envoyé.
Certaines informations ont été traduites automatiquement.
Faits saillants
- De nouveaux O'Reilly seront bientôt disponibles
- Exposition élevée 38 000 voitures et plus par jour
- Nouveau développement commercial sur Duncan Drive
- Le propriétaire construira sur mesure
- Croissance de la population
- Excellent visibilité
LOT Disponible
Afficher les taux de location en
| Taux de location |
|
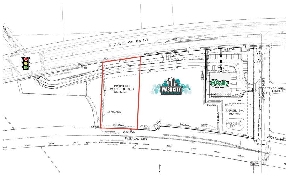
Taille du lot | 1,04 AC |
| Durée du bail | 10 ans |
| Taux de location | |
| Durée du bail | 10 ans |
| Taille du lot | 1,04 AC |
Lot is entitled for 2,500 +/- sf
Aperçu de la propriété
Terrain vacant disponible à la vente ou à la location au coin de la promenade S Duncan et du chemin County à Tavares, en Floride. L'emplacement offre une excellente visibilité sur la rue et un fort taux de circulation. O'Reilly Auto Parts sera aménagée sur une partie de la propriété. Le propriétaire construira sur mesure. La parcelle est zonée commerciale et peut être subdivisée - communiquez avec nous pour plus d'informations.
Faits sur la propriété
1 1
Plutôt praticable à pied
30/100
Exceptionnellement facile d’accès en voiture
100/100
Transports en commun limités
30/100
Assez praticable en vélo
30/100
1 de 6
Vidéos
Visite extérieure 3D Matterport
Visite 3D Matterport
Photos
Vue depuis la rue
Rue
Carte
1 de 1
Présenté par
1299 S Duncan Dr
Vous êtes déjà membre? Connectez-vous
Hmm, il semble y avoir eu une erreur lors de l’envoi de votre message. Veuillez réessayer.
Merci! Votre message a été envoyé.



