Votre courriel a été envoyé.
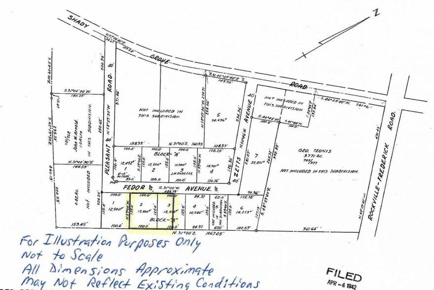
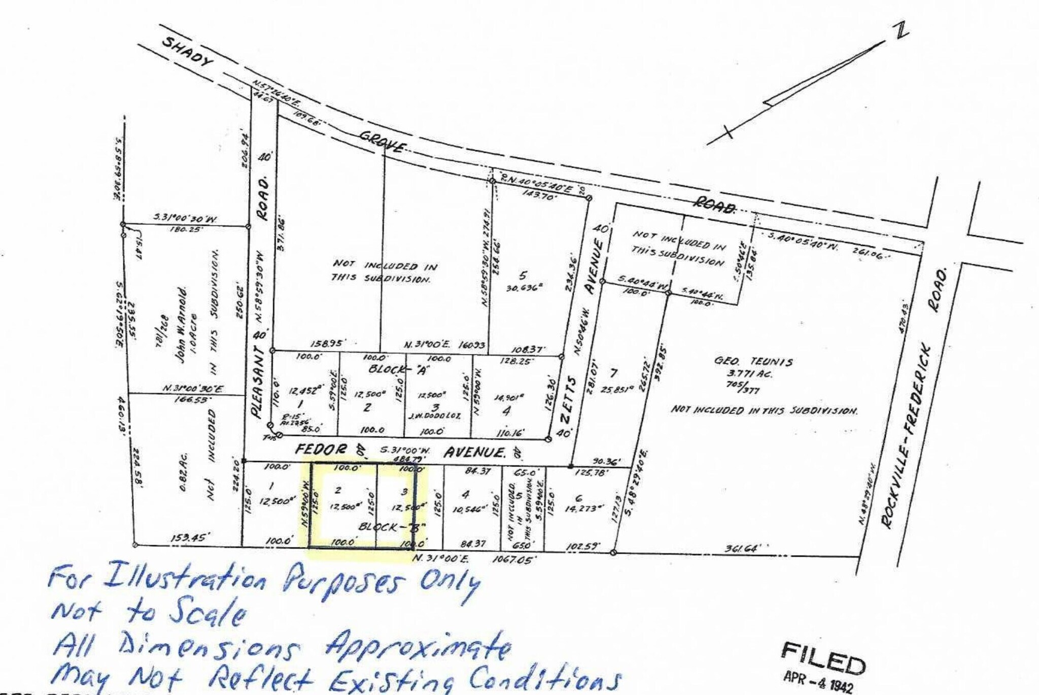
13 Fedor Ave
Gaithersburg, MD 20877
13 Fedor Avenue · Terrain À vendre
·
0,44 AC

Certaines informations ont été traduites automatiquement.
Résumé de l'annonce
• Zoned CRT, Montgomery County, MD.
• Area is fenced with a combination of asphalt & gravel surface.
• Site is leased to a towing company through May 31, 2028.
• Rent being paid by tenant is $5,408/month NNN, effective 6/1/2025, with a 4% annual escalation each June 1st.
• Tenant pays all real estate taxes, landlord’s insurance, and all other operating costs.
• Sale Price: JUST $799,000.
• Approximate CAP rate is 8.12%.
• The site may be suitable for development upon vacating by tenant.
Faits sur la propriété
| Type de vente | Investissement | Sous-type de propriété | Terrain commercial |
| Nombre de lots | 1 | Taille totale du lot | 0,44 AC |
| Type de propriété | Terrain | ||
| Zonage | CRT - Zoné CRT, comté de Montgomery, MD. | ||
| Type de vente | Investissement |
| Nombre de lots | 1 |
| Type de propriété | Terrain |
| Sous-type de propriété | Terrain commercial |
| Taille totale du lot | 0,44 AC |
| Zonage | CRT - Zoné CRT, comté de Montgomery, MD. |
1 Lot disponible
Lot
| Prix | 1 111 641 $ CAD | Taille du lot | 0,44 AC |
| Prix par AC | 2 526 456,07 $ CAD |
| Prix | 1 111 641 $ CAD |
| Prix par AC | 2 526 456,07 $ CAD |
| Taille du lot | 0,44 AC |
• Site consists of 2 contiguous lots, approx. 12,500 SF & approx. 6,875 SF, for a total of 19,375 of land, more or less. • Zoned CRT, Montgomery County, MD. • Area is fenced with a combination of asphalt & gravel surface.
Description
• Le site comprend 2 lots contigus, environ 12 500 pi² et environ 6 875 pi², pour un total d'environ 19 375 pi² de terrain. • Zoné CRT, Montgomery County, MD. • La zone est clôturée avec une surface composée d'asphalte et de gravier. • Le site est loué à une entreprise de remorquage jusqu'au 31 mai 2028. • Le loyer payé par le locataire est de 5 408 $/mois NNN, à partir du 1er juin 2025, avec une augmentation annuelle de 4 % chaque 1er juin. • Le locataire paie toutes les taxes foncières, l'assurance du propriétaire et tous les autres frais d'exploitation. • Prix de vente : SEULEMENT 799 000 $. • Le taux de capitalisation approximatif est de 8,12 %. • Le site pourrait être adapté pour un projet de développement après le départ du locataire.
