Se Connecter/S’inscrire
Votre courriel a été envoyé.
1300 Franklin Tpke
Danville, VA 24540
Hard Corner Retail Pad Sites on Franklin Tpke · Terrain À vendre
·
2,52 AC


Certaines informations ont été traduites automatiquement.
Faits saillants de l'investissement
- Les deux sites ont été zonés dans le quartier commercial de détail dans la ville de Danville
- Tous les services publics sont en place sur place
- Sites à haute visibilité avec plus de 17 000 VPD sur Franklin Turnpike
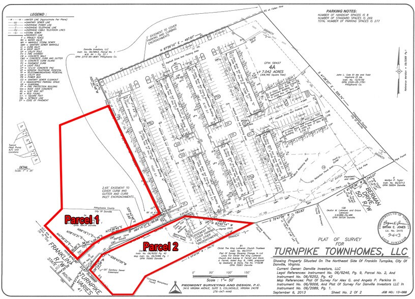
- Parcelle #1 Franklin Turnpike façade 103 pi ; Parcelle #2 Franklin Turnpike façade 150 pi
Résumé de l'annonce
Deux emplacements de points de vente au détail en coin dur disponibles
— Parcelle 1 (0,42-1,5 AC)
— Parcelle 2 (1.02 AC)
• Les deux sites sont zonés dans le quartier commercial commercial de la ville de Danville
• Sites à haute visibilité avec plus de 17 000 VPD sur l'autoroute Franklin
• Parcelle #1 Franklin Turnpike, façade de 103 pi ; Parcelle #2, façade de route Franklin Turnpike 150 pi
• Tous les services publics sont en place sur place
— Parcelle 1 (0,42-1,5 AC)
— Parcelle 2 (1.02 AC)
• Les deux sites sont zonés dans le quartier commercial commercial de la ville de Danville
• Sites à haute visibilité avec plus de 17 000 VPD sur l'autoroute Franklin
• Parcelle #1 Franklin Turnpike, façade de 103 pi ; Parcelle #2, façade de route Franklin Turnpike 150 pi
• Tous les services publics sont en place sur place
Faits sur la propriété
| Type de vente | Propriétaire utilisateur | Sous-type de propriété | Terrain commercial |
| Nombre de lots | 2 | Taille totale du lot | 2,52 AC |
| Type de propriété | Terrain | ||
| Zonage | NRC | ||
| Type de vente | Propriétaire utilisateur |
| Nombre de lots | 2 |
| Type de propriété | Terrain |
| Sous-type de propriété | Terrain commercial |
| Taille totale du lot | 2,52 AC |
| Zonage | NRC |
2 Lots disponibles
Lot
| Taille du lot | 1,50 AC |
| Taille du lot | 1,50 AC |
Deux emplacements de points de vente au détail en coin dur disponibles — Parcelle 1 (0,42-1,5 AC)
Lot
| Taille du lot | 1,02 AC |
| Taille du lot | 1,02 AC |
Deux emplacements de points de vente au détail en coin dur disponibles — Parcelle 2 (1.02 AC)
Description
Deux sites de vente au détail situés dans un coin dur sont disponibles — Parcelle 1 (0,42-1,5 AC) — Parcelle 2 (1,02 CA) • Les deux sites zonés Quartier Retail Commercial dans la ville de Danville • Sites haute visibilité avec plus de 17 000 VPD sur Franklin Turnpike • Parcelle #1 Franklin Turnpike façade de 103 pi ; Parcelle #2 Franklin Turnpike façade 150 pi • Tous les services publics sont en place sur place
1 de 3
Vidéos
Visite extérieure 3D Matterport
Visite 3D Matterport
Photos
Vue depuis la rue
Rue
Carte
