Se Connecter/S’inscrire
Votre courriel a été envoyé.
1300 Peachtree Pky
Cumming, GA 30041
Medical Office Site or Senior Living Site · Terrain À vendre
·
7,53 AC

Certaines informations ont été traduites automatiquement.
FAITS SAILLANTS DE L'INVESTISSEMENT
- 1,6 milles au sud de la Collection
- À un demi-mile au nord de Sharon Greens Kroger.
RÉSUMÉ DE L'ANNONCE
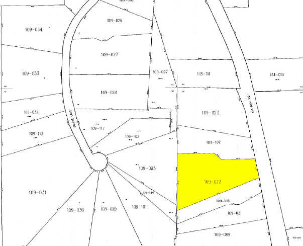
Façades de 340 pi à la rupture médiane. Égouts sanitaires sur le site. CBD zoné.
FAITS SUR LA PROPRIÉTÉ
1 LOT DISPONIBLE
Lot
| Prix | 5 164 913 $ CAD | Taille du lot | 7,53 AC |
| Prix par AC | 685 911,37 $ CAD |
| Prix | 5 164 913 $ CAD |
| Prix par AC | 685 911,37 $ CAD |
| Taille du lot | 7,53 AC |
Façades de 340 pi à la rupture médiane. Égouts sanitaires sur le site. CBD zoné.
COMMODITÉS
- Services publics
- Infrastructure
1 de 2
VIDÉOS
VISITE EXTÉRIEURE 3D MATTERPORT
VISITE 3D MATTERPORT
PHOTOS
VUE DEPUIS LA RUE
RUE
CARTE
