Votre courriel a été envoyé.
North Park Shopping Center 1303-1331 W Wilson St 2 000–22 527 pi² d'espace disponible • Borger, TX 79007



Certaines informations ont été traduites automatiquement.
Faits saillants
- Situé à proximité de Starbucks, de l'Arbre du dollar et d'autres locataires bien connus.
- Stationnement abondant.
- Located on TX Hwy 136 (W Wilson St) in Borger’s primary retail growth area.
- Disponibilité spacieuse.
- Anchored by well-known tenants including Dollar Tree, Rent-A-Center, Verizon, Anytime Fitness, and others.
Disponibilité des espaces (2)
Afficher les taux de location en
- Espace
- Taille
- Terme
- Taux de location
- Type de loyer
| Espace | Taille | Terme | Taux de location | Type de loyer | ||
| 1er étage, ste 1327 | 5 000 à 14 353 pi² | 3-10 ans | 9,57 $ CAD/pi²/an 0,80 $ CAD/pi²/mois 137 414 $ CAD/an 11 451 $ CAD/mois | Loyer hypernet | ||
| 1er étage - 710 | 2 000 à 8 174 pi² | 3-10 ans | 5,47 $ CAD/pi²/an 0,46 $ CAD/pi²/mois 44 718 $ CAD/an 3 727 $ CAD/mois | Loyer hypernet |
1303-1331 W Wilson St - 1er étage - ste 1327
Negotiable pricing, contact broker! Willing to work with prospective tenant to subdivide space in terms of Tenant Improvement allowance.
- Le taux de location ne comprend pas les services publics, les services de bâtiment ou les dépenses immobilières.
- Partiellement construit comme Espace de commerce de détail standard
- Situé en ligne avec d’autres commerces de détail
- Espace nécessitant des rénovations
1303-1331 W Wilson St - 1er étage - 710
Negotiable pricing, contact broker! Overhead Door
- Le taux de location ne comprend pas les services publics, les services de bâtiment ou les dépenses immobilières.
- Espace nécessitant des rénovations
- 1 quai de chargement
Types de loyers
Le type et le montant du loyer que le locataire (preneur) est tenu de payer au propriétaire (bailleur) sur la durée du bail sont négociés avant la signature du bail par les deux parties. Le type de loyer varie selon les services fournis. Par exemple, le prix d’un loyer hypernet est habituellement inférieur à celui d’un bail à service complet puisque le locataire est tenu d’assumer des dépenses additionnelles par rapport au loyer de base. Contactez le courtier inscripteur pour tout connaître sur les frais connexes et additionnels associés à chaque type de loyer.
1. Service complet: Un taux de location qui comprend des services standards liés à l’immeuble fournis par le propriétaire dans le cadre d’une location annuelle de base.
2. Loyer supernet: Le locataire paie seulement deux des frais de l’immeuble. Le propriétaire et le locataire déterminent ces frais spécifiques avant la signature du bail.
3. Loyer hypernet: Un bail en vertu duquel le locataire est responsable de tous les frais liés à sa part proportionnelle d’occupation de l’immeuble.
4. Brut modifié: Le loyer brut modifié désigne un type général de taux de location dans lequel le locataire est habituellement responsable de sa part proportionnelle d’un ou de plusieurs frais. C’est le propriétaire qui paie les frais restants. Considérez les structures tarifaires courantes suivantes applicables aux loyers bruts modifiés: 4. Plus les services: Un type de bail brut modifié suivant lequel le locataire est responsable de sa part proportionnelle des coûts des services publics, en plus du loyer. 4. Plus le nettoyage: Un type de bail brut modifié suivant lequel le locataire est responsable de sa part proportionnelle des coûts de nettoyage, en plus du loyer. 4. Plus l'électricité: Un type de bail brut modifié suivant lequel le locataire est responsable de sa part proportionnelle des coûts d’électricité, en plus du loyer. 4. Plus l’électricité et le nettoyage: Un type de bail brut modifié dans lequel le locataire est responsable de sa part proportionnelle des coûts d’électricité et de nettoyage, en plus du loyer. 4. Plus les services publics et le nettoyage: Un type de bail brut modifié dans lequel le locataire est responsable de sa part proportionnelle des coûts des services publics et de nettoyage, en plus du loyer. 4. Bail industriel brut: Un type de bail brut modifié dans lequel le locataire paie un ou plusieurs des frais, en plus du loyer. Le propriétaire et le locataire déterminent ces frais spécifiques avant la signature du bail.
5. L’électricité est à la charge du locataire: Le propriétaire paie pour tous les services et le locataire est responsable de sa propre utilisation de l’éclairage et des prises électriques dans l’espace qu’il occupe.
6. Négociable ou sur demande: Cette option est utilisée lorsque le contact de location ne précise pas le type de loyer ou de service.
7. À déterminer: À déterminer ; utilisé pour les immeubles dont le type de services ou de loyer n’est pas connu, souvent quand l’immeuble n’est pas encore construit.
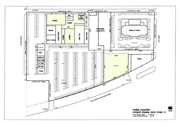
Plan de site
Sélectionner des locataires à North Park Shopping Center
- Locataire
- Description
- Emplacements US
- Portée
- Anytime Fitness
- Services
- -
- -
- Chic Nails
- Services
- -
- -
- Dollar Tree
- Détaillant
- -
- -
- Interim Health Care
- Soins de santé et assistance sociale
- -
- -
- Rent-A-Center
- Détaillant
- -
- -
- Security Finance
- Finance et assurances
- -
- -
| Locataire | Description | Emplacements US | Portée |
| Anytime Fitness | Services | - | - |
| Chic Nails | Services | - | - |
| Dollar Tree | Détaillant | - | - |
| Interim Health Care | Soins de santé et assistance sociale | - | - |
| Rent-A-Center | Détaillant | - | - |
| Security Finance | Finance et assurances | - | - |
Faits sur la propriété
À propos de la propriété
Le centre commercial North Park abrite plusieurs locataires bien connus et dispose de plusieurs espaces à louer pour les futurs locataires.
- Affichage
Principaux détaillants à proximité
Présenté par
North Park Shopping Center | 1303-1331 W Wilson St
Hmm, il semble y avoir eu une erreur lors de l’envoi de votre message. Veuillez réessayer.
Merci! Votre message a été envoyé.





