Se Connecter/S’inscrire
Votre courriel a été envoyé.
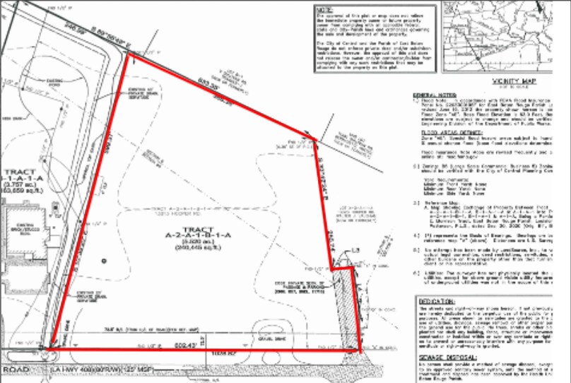
13122 Hooper Rd
Baton Rouge, LA 70818
Terrain À vendre
·
5,52 AC


Certaines informations ont été traduites automatiquement.
Résumé de l'annonce
Located within the City Limits of Central, this 5.52± acre B-5 Large Scale
Commercial tract is a highly visible development opportunity featuring
approximately 602.43± feet of frontage on Hooper Road. Positioned between Joor
Road and Sullivan Road, the property benefits from strong traffic exposure and
proximity to surrounding commercial growth.
The expansive frontage and size make this tract ideal for retail, service
commercial, office, automotive related uses, or multifamily development in a
rapidly growing area of Central. Zoned B-5; The purpose of Large-Scale
Commercial/Business District (B-5) is for high intensity development; specifically,
large scale retail and office providing destination uses for patrons residing within
and outside of the city. The tract is located in Flood Zone AE
Commercial tract is a highly visible development opportunity featuring
approximately 602.43± feet of frontage on Hooper Road. Positioned between Joor
Road and Sullivan Road, the property benefits from strong traffic exposure and
proximity to surrounding commercial growth.
The expansive frontage and size make this tract ideal for retail, service
commercial, office, automotive related uses, or multifamily development in a
rapidly growing area of Central. Zoned B-5; The purpose of Large-Scale
Commercial/Business District (B-5) is for high intensity development; specifically,
large scale retail and office providing destination uses for patrons residing within
and outside of the city. The tract is located in Flood Zone AE
Faits sur la propriété
| Type de vente | Investissement | Sous-type de propriété | Terrain commercial |
| Nombre de lots | 1 | Utilisation proposée | Commercial |
| Type de propriété | Terrain | Taille totale du lot | 5,52 AC |
| Zonage | B5 | ||
| Type de vente | Investissement |
| Nombre de lots | 1 |
| Type de propriété | Terrain |
| Sous-type de propriété | Terrain commercial |
| Utilisation proposée | Commercial |
| Taille totale du lot | 5,52 AC |
| Zonage | B5 |
1 Lot disponible
Lot
| Prix | 1 299 249 $ CAD | Taille du lot | 5,52 AC |
| Prix par AC | 235 371,11 $ CAD |
| Prix | 1 299 249 $ CAD |
| Prix par AC | 235 371,11 $ CAD |
| Taille du lot | 5,52 AC |
1 de 8
Vidéos
Visite extérieure 3D Matterport
Visite 3D Matterport
Photos
Vue depuis la rue
Rue
Carte
