Se Connecter/S’inscrire
Votre courriel a été envoyé.
13170 Pond Springs Rd - Commercial/Multi Family Land on Pond Spring Lot • Terrain commercial • 1,77 Acres • Austin, TX 78729

Certaines informations ont été traduites automatiquement.
Faits saillants de l'investissement
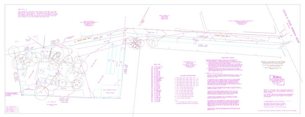
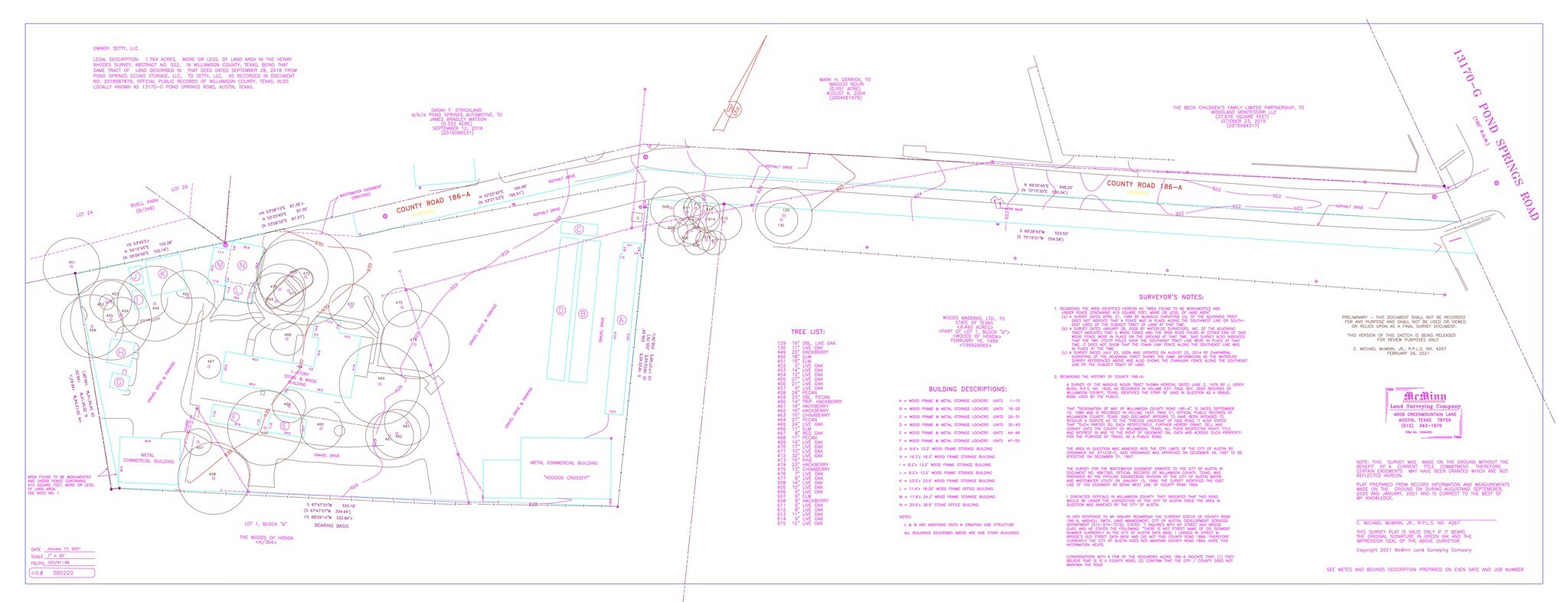
- 1,77 acres à Pond Spring, zonage CS, pourrait être utilisé pour l'aménagement de condominiums .4 bâtiments existants.
Résumé de l'annonce
La valeur est dans le terrain, quatre bâtiments existants, l'aménagement commercial ou le développement de condominiums possibles.
Faits sur la propriété
1 Lot disponible
Lot
| Taille du lot | 1,77 AC |
| Taille du lot | 1,77 AC |
1,77 Acres sur Pond Spring, zonage CS, Pourrait être utilisé pour l'aménagement de condominiaux.4 bâtiments existants.
Description
1,77 acres à Pond Spring, zonage CS, pourrait être utilisé pour l'aménagement de condominiums .4 bâtiments existants.
1 1
Impôts fonciers
| Numéro de lot | R056421 | Évaluation des bâtiments | 6 819 906 $ CAD |
| Évaluation du terrain | 3 565 010 $ CAD | Évaluation totale | 10 384 916 $ CAD |
Impôts fonciers
Numéro de lot
R056421
Évaluation du terrain
3 565 010 $ CAD
Évaluation des bâtiments
6 819 906 $ CAD
Évaluation totale
10 384 916 $ CAD
1 de 2
Vidéos
Visite extérieure 3D Matterport
Visite 3D Matterport
Photos
Vue depuis la rue
Rue
Carte
1 de 1
Présenté par
DAHR INC.
13170 Pond Springs Rd - Commercial/Multi Family Land on Pond Spring
Vous êtes déjà membre? Connectez-vous
Hmm, il semble y avoir eu une erreur lors de l’envoi de votre message. Veuillez réessayer.
Merci! Votre message a été envoyé.
Votre message a été envoyé !
Activez votre compte LoopNet dès maintenant pour suivre les propriétés, recevoir des alertes en temps réel, gagner du temps sur vos demandes futures et bien plus encore.
