Se Connecter/S’inscrire
Votre courriel a été envoyé.
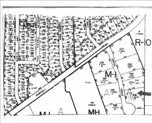
1325 Capital Cir 16 464 pi² Local d'activités Immeuble Lawrenceville, GA 30043 3 709 558 $ CAD (225,31 $ CAD/pi²)



Certaines informations ont été traduites automatiquement.
Résumé de l'annonce
Please reach out to Tom Hunter or Doug Myers for Confidentiality Agreement to receive Offering Memorandum.
Faits sur la propriété
Commodités
- Accès 24 heures
- Espace d'entreposage
- Climatisation
- Détecteur de fumée
Services publics
- Éclairage - LED
- Eau - Ville
- Égout - Ville
1 1
1 de 8
Vidéos
Visite extérieure 3D Matterport
Visite 3D Matterport
Photos
Vue depuis la rue
Rue
Carte
1 de 1
Présenté par
1325 Capital Cir
Vous êtes déjà membre? Connectez-vous
Hmm, il semble y avoir eu une erreur lors de l’envoi de votre message. Veuillez réessayer.
Merci! Votre message a été envoyé.
Votre message a été envoyé !
Activez votre compte LoopNet dès maintenant pour suivre les propriétés, recevoir des alertes en temps réel, gagner du temps sur vos demandes futures et bien plus encore.
