Se Connecter/S’inscrire
Votre courriel a été envoyé.
13255 SE County Hwy 484
Belleview, FL 34420
484 Holdings · Terrain À vendre
·
35,25 AC


Certaines informations ont été traduites automatiquement.
Faits saillants de l'investissement
- La plupart des principaux locataires préfèrent un accès facile et une grande visibilité.
- Situé à l'intersection du nouveau passage de contournement Belleview et de la route 484 SE
- Usage mixte
- Excellent emplacement ! !
- Services publics
Résumé de l'annonce
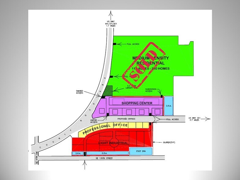
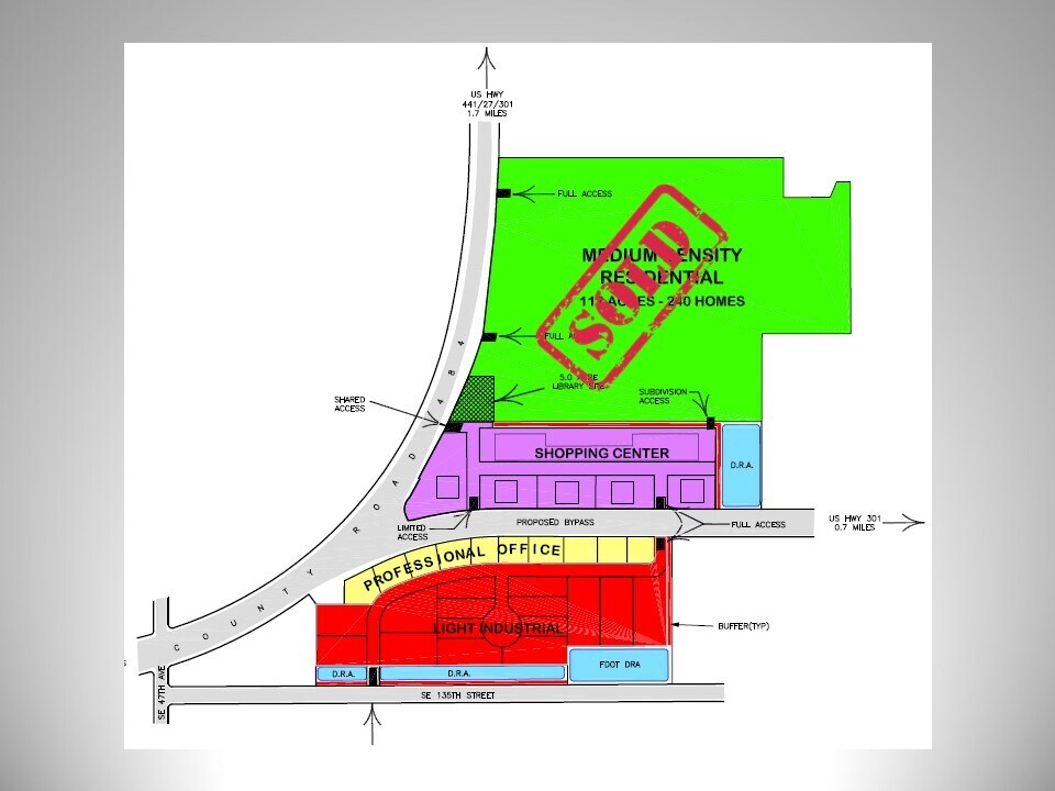
Cette propriété est un bijou, sa taille et son zonage en font une découverte spéciale. La propriété offre de nombreuses excellentes possibilités d'utilisation. Épicerie, gaz, commerce de détail. Entreposage pour véhicules de récréation, logement autonome, restaurant.
La propriété de 484 Land Corp. est située à l'intersection du nouveau contournement de Belleview, 132, chemin et de la route 484 SE. Cet établissement se trouve à quelques minutes des autoroutes 301, 441, 27 et I-75.
La propriété de 484 Land Corp. est située à l'intersection du nouveau contournement de Belleview, 132, chemin et de la route 484 SE. Cet établissement se trouve à quelques minutes des autoroutes 301, 441, 27 et I-75.
Faits sur la propriété
1 Lot disponible
Lot 1
| Taille du lot | 35,25 AC |
| Taille du lot | 35,25 AC |
Excellent site commercial. Peut être divisé. Zonage commercial en place. Situé dans la ville de Belleview. Eau et égouts disponibles.
Description
Propriété commerciale située le long du nouveau Belleview By-Pass. La propriété peut être divisée
Impôts fonciers
| Numéro de lot | 41401-002-00 | Évaluation des bâtiments | 0 $ CAD |
| Évaluation du terrain | 0 $ CAD | Évaluation totale | 23 715 $ CAD |
Impôts fonciers
Numéro de lot
41401-002-00
Évaluation du terrain
0 $ CAD
Évaluation des bâtiments
0 $ CAD
Évaluation totale
23 715 $ CAD
1 de 11
Vidéos
Visite extérieure 3D Matterport
Visite 3D Matterport
Photos
Vue depuis la rue
Rue
Carte
