Votre courriel a été envoyé.
1355 NE 119th St Lot • Terrain industriel • 0,75 Acres • 4 009 250 $ CAD • Miami, FL 33161

Certaines informations ont été traduites automatiquement.
FAITS SAILLANTS DE L'INVESTISSEMENT
- Strategic infill location near Biscayne Blvd and I-95
- Surrounded by retail, residential, and civic amenities
- Minutes from Downtown Miami, Miami Beach, and Aventura
- Cleared and level site with utilities at the street
- Zoning supports medium-density commercial or residential
- Strong demand for infill development in North Miami
RÉSUMÉ DE L'ANNONCE
FAITS SUR LA PROPRIÉTÉ
1 LOT DISPONIBLE
Lot
| Prix | 4 009 250 $ CAD | Taille du lot | 0,75 AC |
| Prix par AC | 5 345 666,87 $ CAD |
| Prix | 4 009 250 $ CAD |
| Prix par AC | 5 345 666,87 $ CAD |
| Taille du lot | 0,75 AC |
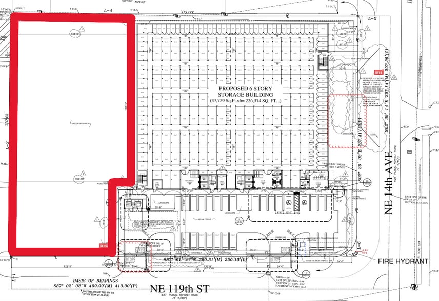
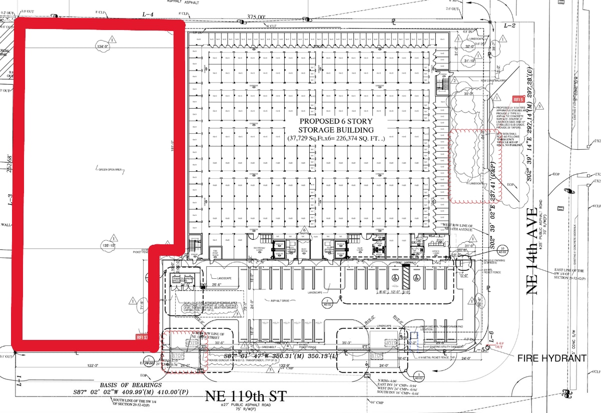
0.75 acre parcel for sale. Miami-Dade County Industrial zoning.
DESCRIPTION
Situé au cœur de North Miami, ce terrain prêt à être développé de 0,75 acre offre une occasion rare d'acquérir un emplacement de choix dans l'un des corridors urbains les plus dynamiques du sud de la Floride. Positionné juste à côté de Biscayne Boulevard et à quelques minutes de l'I-95, le site bénéficie d'une excellente connectivité avec le centre-ville de Miami, Miami Beach et Aventura, ce qui en fait un emplacement idéal pour une large gamme de projets commerciaux ou résidentiels. Avec une demande croissante pour des terrains en milieu urbain dans le comté de Miami-Dade et une offre limitée dans le sous-marché de North Miami, ce site présente des bases solides pour une création de valeur à long terme. Que ce soit pour un projet sur mesure ou un développement spéculatif, l'emplacement et la taille de ce terrain en font une opportunité d'investissement attrayante.
Impôts fonciers
| Numéro de lot | 30-2229-074-0050 | Évaluation des bâtiments | 0 $ CAD |
| Évaluation du terrain | 6 888 211 $ CAD | Évaluation totale | 6 888 211 $ CAD |
Impôts fonciers
Présenté par
Stor-All Storage
1355 NE 119th St
Hmm, il semble y avoir eu une erreur lors de l’envoi de votre message. Veuillez réessayer.
Merci! Votre message a été envoyé.
