Se Connecter/S’inscrire
Votre courriel a été envoyé.
Haney Commercial Pads 139 and 273 N. 26th Avenue Terrain à louer de 1,3–2,73 acres • Terrain commercial • Cornelius, OR 97113


Certaines informations ont été traduites automatiquement.
FAITS SAILLANTS
- Options de conduite par lots. Commerce de détail, restaurant ou médical autorisé.
- Situé à une intersection éclairée le long de la route Tualatin Valley (OR 8) avec 33 927 VPD avec entrée et sortie faciles à partir de la 26e avenue N.
LOT Disponible
Afficher les taux de location en
| Taux de location |
|
Taille du lot | 1,30 à 2,73 AC |
| Durée du bail | Négociable |
| Taux de location | |
| Durée du bail | Négociable |
| Taille du lot | 1,30 à 2,73 AC |
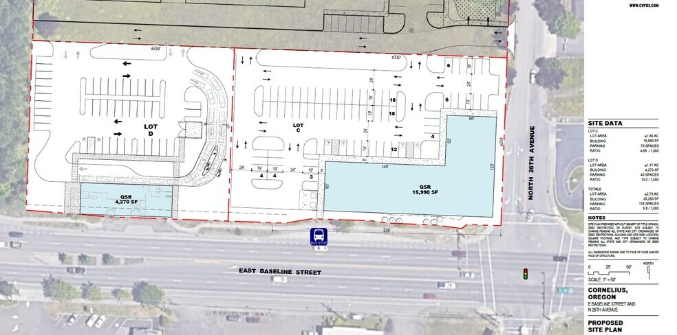
*For Lease Options on Inline Shop Space Available- Site Plan Attached Ground Lease or Build-to-Suit Opportunity Cornelius Commercial Pads Options- Now inline spaces available to Lease! Please call broker for pricing. Please note site plan is flexible. • Zoned: Gateway Mixed-Use (GMU). Allows for QSR drive-thru, restaurant, retail, and medical. • Located at a lighted intersection along Tualatin Valley Highway (OR 8) with 33,927 VPD with easy ingress/egress off N. 26th Avenue. • High traffic retail area with close proximity to Fred Meyers, Act V Theatres, Burger King, Panda Express, and more. Adjacent to future multifamily development.
APERÇU DE LA PROPRIÉTÉ
Les espaces commerciaux sont ancrés dans des appartements multifamiliaux au Nord. L'accès se fait par l'autoroute TV et l'entrée et la sortie directes par la 26e Avenue. De plus, une route frontale traversera la propriété et reliera les zones commerciales adjacentes pour une meilleure fluidité. La propriété devrait être livrée au début de 2025. Veuillez appeler le courtier pour connaître les détails et les tarifs.
FAITS SUR LA PROPRIÉTÉ
1 1
Bike Score®
Très cyclable (75)
1 de 3
VIDÉOS
VISITE EXTÉRIEURE 3D MATTERPORT
VISITE 3D MATTERPORT
PHOTOS
VUE DEPUIS LA RUE
RUE
CARTE
1 de 1
Présenté par
Haney Commercial Pads | 139 and 273 N. 26th Avenue
Vous êtes déjà membre? Connectez-vous
Hmm, il semble y avoir eu une erreur lors de l’envoi de votre message. Veuillez réessayer.
Merci! Votre message a été envoyé.
