Se Connecter/S’inscrire
Votre courriel a été envoyé.
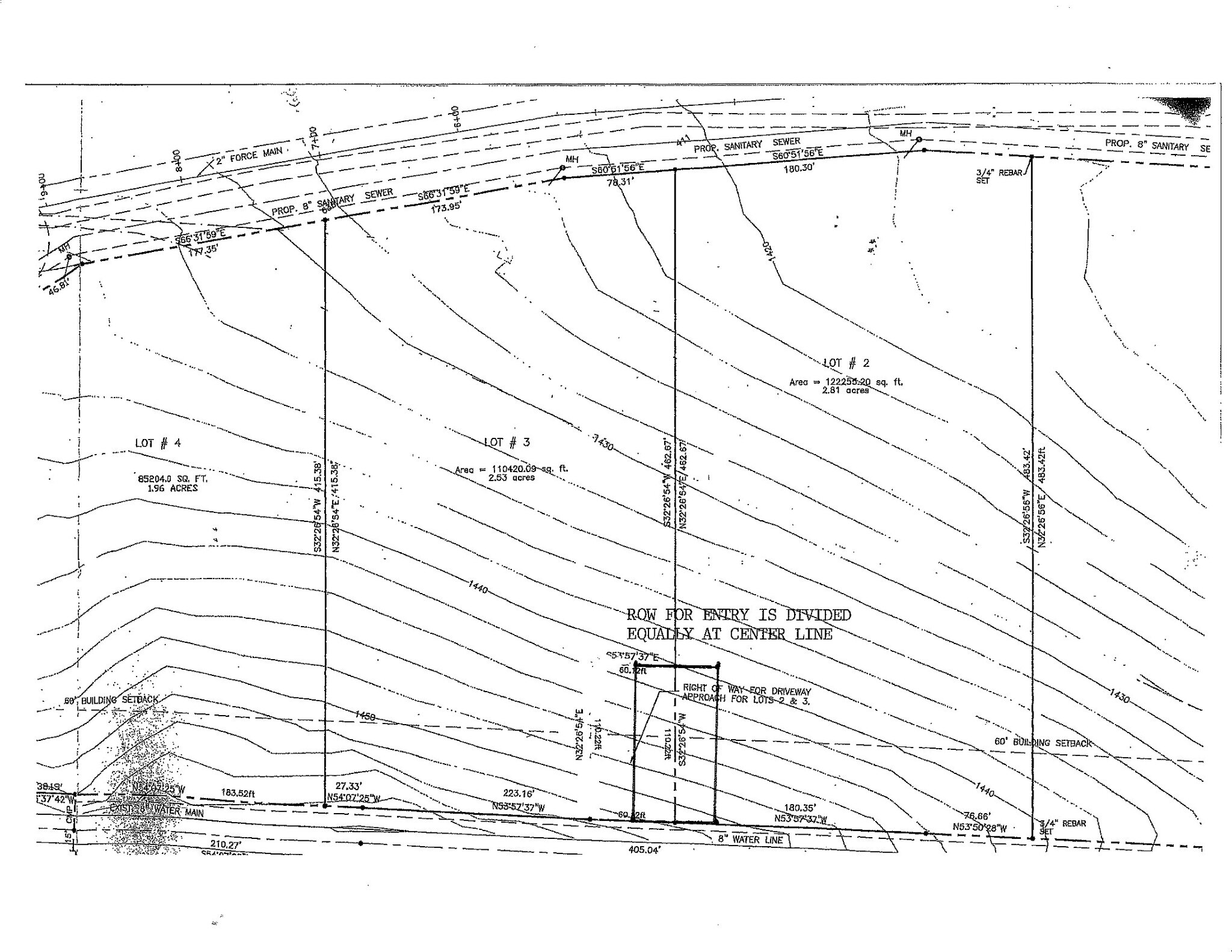
1396 Greenville Pike - Lot 2 Lot • Terrain commercial • 2,53 Acres • 156 991 $ CAD • Clarion, PA 16214



Certaines informations ont été traduites automatiquement.
FAITS SAILLANTS DE L'INVESTISSEMENT
- Greenville Pike in Clarion Township has 2 remaining Hi Visibility Commercial parcels.
- Parcel #3 is 2.53 acres of open gently sloping vacant ground with tremendous potential and versatility.
- Heavy Traffic all point to Commercial Success!
- Along the corridor to the I-80 Exit #64.
- Strategically located.
RÉSUMÉ DE L'ANNONCE
Its 2025, Stocks are Up, Interest Rates are Coming Down! Greenville Pike in Clarion Township has 2 remaining Hi Visibility Commercial parcels along the corridor to the I-80 Exit #64. Parcel #3 is 2.53 acres of open gently sloping vacant ground with tremendous potential and versatility. No Zoning in Clarion Township opens the possibility to a vast selection of Commercial options. Strategically located, Great Space, No Zoning and Heavy Traffic all point to Commercial Success! Hospitality, Service, Manufacturing, Retail, Residential Rental or Commercial Rental and more may all be options. Call today to discuss your Commercial vision for this parcel and how we can help you achieve it!
FAITS SUR LA PROPRIÉTÉ
| Prix | 156 991 $ CAD | Sous-type de propriété | Terrain commercial |
| Type de vente | Investissement | Taille totale du lot | 2,53 AC |
| Nombre de lots | 1 | Zone de développement économique |
Oui
|
| Type de propriété | Terrain | ||
| Zonage | Commercial - Commercial | ||
| Prix | 156 991 $ CAD |
| Type de vente | Investissement |
| Nombre de lots | 1 |
| Type de propriété | Terrain |
| Sous-type de propriété | Terrain commercial |
| Taille totale du lot | 2,53 AC |
| Zone de développement économique |
Oui |
| Zonage | Commercial - Commercial |
1 LOT DISPONIBLE
Lot 3
| Prix | 156 991 $ CAD | Taille du lot | 2,53 AC |
| Prix par AC | 62 051,85 $ CAD |
| Prix | 156 991 $ CAD |
| Prix par AC | 62 051,85 $ CAD |
| Taille du lot | 2,53 AC |
Greenville Pike in Clarion Township has 2 remaining Hi Visibility Commercial parcels along the corridor to the I-80 Exit #64. Parcel #3 is 2.53 acres of open gently sloping vacant ground with tremendous potential and versatility. No Zoning in Clarion
1 1
Impôts fonciers
| Numéro de lot | 006-008530 | Évaluation des bâtiments | 0 $ CAD |
| Évaluation du terrain | 14 650 $ CAD | Évaluation totale | 14 650 $ CAD |
Impôts fonciers
Numéro de lot
006-008530
Évaluation du terrain
14 650 $ CAD
Évaluation des bâtiments
0 $ CAD
Évaluation totale
14 650 $ CAD
1 de 7
VIDÉOS
VISITE EXTÉRIEURE 3D MATTERPORT
VISITE 3D MATTERPORT
PHOTOS
VUE DEPUIS LA RUE
RUE
CARTE
1 de 1
Présenté par
1396 Greenville Pike - Lot 2
Vous êtes déjà membre? Connectez-vous
Hmm, il semble y avoir eu une erreur lors de l’envoi de votre message. Veuillez réessayer.
Merci! Votre message a été envoyé.
