Se Connecter/S’inscrire
Votre courriel a été envoyé.
Certaines informations ont été traduites automatiquement.
Faits saillants
- À moins de 3 milles de l'autoroute I-91 N/S.
- Convient à une variété d'utilisations différentes.
- Disponible pour un bail à long terme.
- Plus de 450 pi de façade de la route principale.
- Coin signalisé.
LOT Disponible
Afficher les taux de location en
| Taux de location |
|
Taille du lot | 2,50 AC |
| Durée du bail | Négociable |
| Taux de location | |
| Durée du bail | Négociable |
| Taille du lot | 2,50 AC |
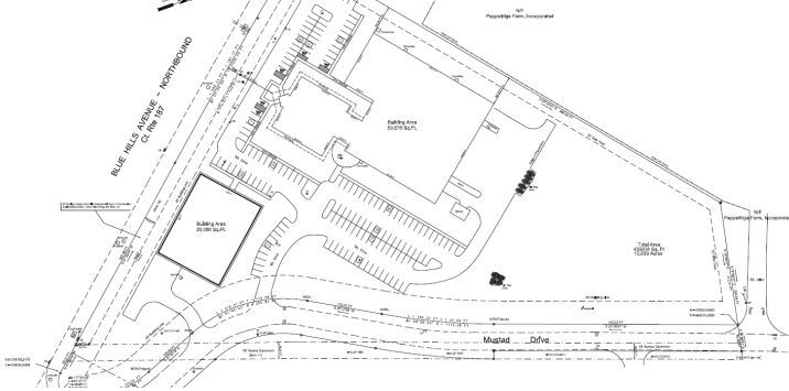
Sentry Commercial is pleased to present 2.5 acres for lease at 1404 Blue Hills Avenue, Bloomfield CT. This industrially zoned parcel has great visibility on a high volume roadway. This prime site can accommodate a maximum 20,000 SF building and is suitable for a variety of different uses.
Faits sur la propriété
1 1
1 de 3
Vidéos
Visite extérieure 3D Matterport
Visite 3D Matterport
Photos
Vue depuis la rue
Rue
Carte
1 de 1
Présenté par
1404 Blue Hills Ave
Vous êtes déjà membre? Connectez-vous
Hmm, il semble y avoir eu une erreur lors de l’envoi de votre message. Veuillez réessayer.
Merci! Votre message a été envoyé.
Votre message a été envoyé !
Activez votre compte LoopNet dès maintenant pour suivre les propriétés, recevoir des alertes en temps réel, gagner du temps sur vos demandes futures et bien plus encore.


