Se Connecter/S’inscrire
Votre courriel a été envoyé.
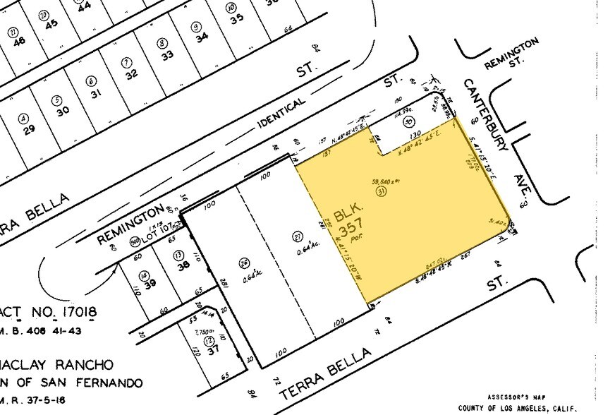
14061 Terra Bella St Immeuble de 6 664 pi² • Spécialité • À vendre 4 795 000 $ CAD • Arleta, CA 91331



Certaines informations ont été traduites automatiquement.
Faits saillants de l'investissement
- Located At A Hard-Corner, Signalized Intersection Of Terra Bella Street And Canterbury Avenue
- Excellent Redevelopment Potential For Market-Rate Or Affordable Multifamily Units
- Positioned In A Rapidly Densifying Neighborhood With Strong Housing Demand
- Current Site Improvements Include A Single-Family House And Commercial Church/School Building
- Immediate Access To I-5, 170, And 405 Freeways For Quick Connectivity To Major Business Districts
- Close To Regional Transit Options And Within Driving Distance To Bob Hope Airport
Résumé de l'annonce
This property represents a compelling infill development opportunity in the thriving San Fernando Valley submarket. Positioned at a hard-corner, signalized intersection of Terra Bella Street and Canterbury Avenue, the parcel offers excellent visibility and accessibility. With approximately 1.5 acres and current improvements that include a single-family residence and a church/school building, the site provides flexibility for redevelopment into multifamily or mixed-use housing to meet growing demand.
The A2-1 zoning and location within the City of Los Angeles position the property for outstanding regional connectivity. Immediate access to major transportation corridors, including the 5, 170, and 405 Freeways, ensures efficient links to Downtown Los Angeles, West LA, and key employment centers. The San Fernando Valley’s ongoing transformation into a higher-density residential corridor, coupled with consistent demographic growth, elevates long-term value and development appeal.
The A2-1 zoning and location within the City of Los Angeles position the property for outstanding regional connectivity. Immediate access to major transportation corridors, including the 5, 170, and 405 Freeways, ensures efficient links to Downtown Los Angeles, West LA, and key employment centers. The San Fernando Valley’s ongoing transformation into a higher-density residential corridor, coupled with consistent demographic growth, elevates long-term value and development appeal.
Faits sur la propriété
| Prix | 4 795 000 $ CAD | Taille du lot | 1,55 AC |
| Prix par pi² | 719,54 $ CAD | Taille du bâtiment | 6 664 pi² |
| Type de vente | Propriétaire utilisateur | Nombre d’étages | 1 |
| Type de propriété | Spécialité | Année de construction | 1952 |
| Sous-type de propriété | Eglise | Location | Unique |
| Classe d’immeuble | C | ||
| Zonage | LAA2 - Agricultural Zone Allowing Rural Residential Living Mixed with Agricultural Activities | ||
| Prix | 4 795 000 $ CAD |
| Prix par pi² | 719,54 $ CAD |
| Type de vente | Propriétaire utilisateur |
| Type de propriété | Spécialité |
| Sous-type de propriété | Eglise |
| Classe d’immeuble | C |
| Taille du lot | 1,55 AC |
| Taille du bâtiment | 6 664 pi² |
| Nombre d’étages | 1 |
| Année de construction | 1952 |
| Location | Unique |
| Zonage | LAA2 - Agricultural Zone Allowing Rural Residential Living Mixed with Agricultural Activities |
1 1
Assez praticable à pied
50/100
Exceptionnellement facile d’accès en voiture
100/100
Transports en commun limités
30/100
Plutôt praticable en vélo
50/100
Impôts fonciers
| Numéros de lot | Évaluation des bâtiments | 1 269 712 $ CAD | |
| Évaluation du terrain | 2 433 341 $ CAD | Évaluation totale | 3 703 052 $ CAD |
Impôts fonciers
Numéros de lot
Évaluation du terrain
2 433 341 $ CAD
Évaluation des bâtiments
1 269 712 $ CAD
Évaluation totale
3 703 052 $ CAD
1 de 4
Vidéos
Visite extérieure 3D Matterport
Visite 3D Matterport
Photos
Vue depuis la rue
Rue
Carte
1 de 1
Présenté par
14061 Terra Bella St
Vous êtes déjà membre? Connectez-vous
Hmm, il semble y avoir eu une erreur lors de l’envoi de votre message. Veuillez réessayer.
Merci! Votre message a été envoyé.
