Votre courriel a été envoyé.
1441 Highway 6 - For Sale 1441 Highway 6 3 000–7 000 pi² d'espace disponible • Bureau/Médical • Sugar Land, TX 77478



Certaines informations ont été traduites automatiquement.
FAITS SAILLANTS
- The Property is located within a small medical condominium business park, providing an opportunity for synergy with other practices.
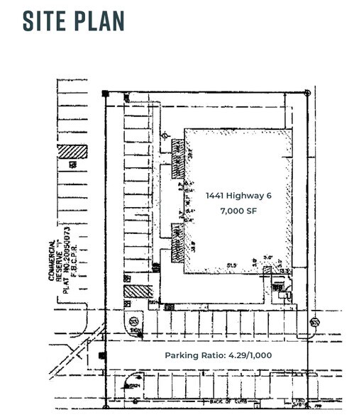
- High parking ratio for patients and staff in the surface lot surrounding the Property.
- Up to 7,000 SF available – the building could remain subdivided as two clinics or convert to one large clinic
- Close proximity to major healthcare institutions: Kindred Hospital Sugar Land, St. Luke’s Health - Sugar Land Hospital, Houston Methodist Sugar Land
TOUS LES ESPACES DISPONIBLES(2)
Afficher les taux de location en
- ESPACE
- TAILLE
- TERME
- TAUX DE LOCATION
- UTILISATION DE L’ESPACE
- ÉTAT
- DISPONIBLE
Suite 100 has a good flow with a central nurses station for easy view and access to the exam rooms. The space also has a large physical therapy room
- Le taux de location ne comprend pas les services publics, les services de bâtiment ou les dépenses immobilières.
- Disposition intensive du bureau
- Entièrement construit comme Espace médical standard
- Peut être associé à un ou plusieurs espaces supplémentaires pour obtenir jusqu’à 7 000 pi² d’espace adjacent.
Suite 200 is built out with sinks in each exam room, lab, 2 patient restrooms and a private restroom in the physician’s office.
- Le taux de location ne comprend pas les services publics, les services de bâtiment ou les dépenses immobilières.
- Laboratoire
- Peut être associé à un ou plusieurs espaces supplémentaires pour obtenir jusqu’à 7 000 pi² d’espace adjacent.
- Salle de bains privée
| Espace | Taille | Terme | Taux de location | Utilisation de l’espace | État | Disponible |
| 1er étage, ste 100 | 4 000 pi² | Négociable | Sur demande Sur demande Sur demande Sur demande | Bureau/Médical | construction complète | 30 jours |
| 1er étage, ste 200 | 3 000 pi² | Négociable | Sur demande Sur demande Sur demande Sur demande | Bureau/Médical | - | 30 jours |
1er étage, ste 100
| Taille |
| 4 000 pi² |
| Terme |
| Négociable |
| Taux de location |
| Sur demande Sur demande Sur demande Sur demande |
| Utilisation de l’espace |
| Bureau/Médical |
| État |
| construction complète |
| Disponible |
| 30 jours |
1er étage, ste 200
| Taille |
| 3 000 pi² |
| Terme |
| Négociable |
| Taux de location |
| Sur demande Sur demande Sur demande Sur demande |
| Utilisation de l’espace |
| Bureau/Médical |
| État |
| - |
| Disponible |
| 30 jours |
1er étage, ste 100
| Taille | 4 000 pi² |
| Terme | Négociable |
| Taux de location | Sur demande |
| Utilisation de l’espace | Bureau/Médical |
| État | construction complète |
| Disponible | 30 jours |
Suite 100 has a good flow with a central nurses station for easy view and access to the exam rooms. The space also has a large physical therapy room
- Le taux de location ne comprend pas les services publics, les services de bâtiment ou les dépenses immobilières.
- Entièrement construit comme Espace médical standard
- Disposition intensive du bureau
- Peut être associé à un ou plusieurs espaces supplémentaires pour obtenir jusqu’à 7 000 pi² d’espace adjacent.
1er étage, ste 200
| Taille | 3 000 pi² |
| Terme | Négociable |
| Taux de location | Sur demande |
| Utilisation de l’espace | Bureau/Médical |
| État | - |
| Disponible | 30 jours |
Suite 200 is built out with sinks in each exam room, lab, 2 patient restrooms and a private restroom in the physician’s office.
- Le taux de location ne comprend pas les services publics, les services de bâtiment ou les dépenses immobilières.
- Peut être associé à un ou plusieurs espaces supplémentaires pour obtenir jusqu’à 7 000 pi² d’espace adjacent.
- Laboratoire
- Salle de bains privée
APERÇU DE LA PROPRIÉTÉ
Le bâtiment est situé sur l'autoroute 6 et Flour Daniel Dr entouré de restaurants, de cliniques médicales, de médecins bureaux, hôpital de réadaptation, centre de conditionnement physique et centre de remise en forme les collectivités résidentielles. Emplacement idéal pour spa médical/santé et clinique de physiothérapie...
FAITS SUR LA PROPRIÉTÉ
Présenté par
1441 Highway 6 - For Sale | 1441 Highway 6
Hmm, il semble y avoir eu une erreur lors de l’envoi de votre message. Veuillez réessayer.
Merci! Votre message a été envoyé.






