Votre courriel a été envoyé.
Market Square 1450 State Road 436 1 000–4 000 pi² d'espace disponible • Commerce de détail • Casselberry, FL 32707



Certaines informations ont été traduites automatiquement.
Faits saillants
- Le Centre dispose de 572 places de stationnement.
- Le nombre de trafic actuel : 113 000 AADT sur le SR-436 et 59 000 VP sur le chemin Howell Branch
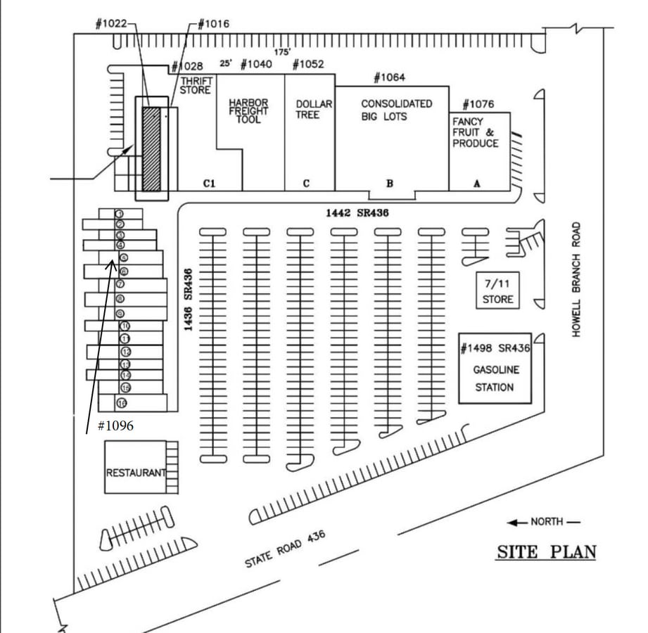
- Le centre commercial Market Square est un centre commercial de 120 000 pieds carrés situé sur la principale route nord-sud à l'est d'Orlando.
- Principaux points d'ancrage : Dogtown Resorts et Dollar Tree
- La propriété jouit d'une excellente visibilité sur State Road 436
Disponibilité des espaces (2)
Afficher les taux de location en
- Espace
- Taille
- Plafond
- Terme
- Taux de location
- Type de loyer
| Espace | Taille | Plafond | Terme | Taux de location | Type de loyer | |
| 1er étage, ste 1000 | 1 000 à 2 000 pi² | 16’ | Négociable | 24,80 $ CAD/pi²/an 2,07 $ CAD/pi²/mois 49 607 $ CAD/an 4 134 $ CAD/mois | Loyer hypernet | |
| 1er étage, ste 1008 | 1 000 à 2 000 pi² | - | Négociable | 24,80 $ CAD/pi²/an 2,07 $ CAD/pi²/mois 49 607 $ CAD/an 4 134 $ CAD/mois | Loyer hypernet |
1436-1450 State Road 436 - 1er étage - ste 1000
In-line retail storefront in the Market Square Shopping Center with heavy pedestrian traffic from the anchor tenants (Dogbeach and Dollar Tree) benefits from building and monument signage. A Total of 1,000-2,000 SF is available today.
- Le taux de location ne comprend pas les services publics, les services de bâtiment ou les dépenses immobilières.
- Entièrement construit comme Espace de commerce de détail standard
- Situé en ligne avec d’autres commerces de détail
- Climatisation centrale
- Plafond suspendu
- Éclairage d’urgence
- CVCA disponible après les heures de travail
- Plafonds finis: 16’
- Planchers de bois franc
- Hard Corner Neighborhood Center
- Immediately Available
1436-1450 State Road 436 - 1er étage - ste 1008
In-line retail storefront in the Market Square Shopping Center with heavy pedestrian traffic from the anchor tenants (Dogbeach and Dollar Tree) benefits from building and monument signage. A Total of 1,000-2,000 SF is available today.
- Le taux de location ne comprend pas les services publics, les services de bâtiment ou les dépenses immobilières.
- Entièrement construit comme Espace de commerce de détail standard
- Situé en ligne avec d’autres commerces de détail
- Climatisation centrale
- Salle de bains privée
- Espace en coin
- Plafond suspendu
- Éclairage d’urgence
- Clé en main
- Planchers de bois franc
- Existing Shop retail space
- Immediately Available
Types de loyers
Le type et le montant du loyer que le locataire (preneur) est tenu de payer au propriétaire (bailleur) sur la durée du bail sont négociés avant la signature du bail par les deux parties. Le type de loyer varie selon les services fournis. Par exemple, le prix d’un loyer hypernet est habituellement inférieur à celui d’un bail à service complet puisque le locataire est tenu d’assumer des dépenses additionnelles par rapport au loyer de base. Contactez le courtier inscripteur pour tout connaître sur les frais connexes et additionnels associés à chaque type de loyer.
1. Service complet: Un taux de location qui comprend des services standards liés à l’immeuble fournis par le propriétaire dans le cadre d’une location annuelle de base.
2. Loyer supernet: Le locataire paie seulement deux des frais de l’immeuble. Le propriétaire et le locataire déterminent ces frais spécifiques avant la signature du bail.
3. Loyer hypernet: Un bail en vertu duquel le locataire est responsable de tous les frais liés à sa part proportionnelle d’occupation de l’immeuble.
4. Brut modifié: Le loyer brut modifié désigne un type général de taux de location dans lequel le locataire est habituellement responsable de sa part proportionnelle d’un ou de plusieurs frais. C’est le propriétaire qui paie les frais restants. Considérez les structures tarifaires courantes suivantes applicables aux loyers bruts modifiés: 4. Plus les services: Un type de bail brut modifié suivant lequel le locataire est responsable de sa part proportionnelle des coûts des services publics, en plus du loyer. 4. Plus le nettoyage: Un type de bail brut modifié suivant lequel le locataire est responsable de sa part proportionnelle des coûts de nettoyage, en plus du loyer. 4. Plus l'électricité: Un type de bail brut modifié suivant lequel le locataire est responsable de sa part proportionnelle des coûts d’électricité, en plus du loyer. 4. Plus l’électricité et le nettoyage: Un type de bail brut modifié dans lequel le locataire est responsable de sa part proportionnelle des coûts d’électricité et de nettoyage, en plus du loyer. 4. Plus les services publics et le nettoyage: Un type de bail brut modifié dans lequel le locataire est responsable de sa part proportionnelle des coûts des services publics et de nettoyage, en plus du loyer. 4. Bail industriel brut: Un type de bail brut modifié dans lequel le locataire paie un ou plusieurs des frais, en plus du loyer. Le propriétaire et le locataire déterminent ces frais spécifiques avant la signature du bail.
5. L’électricité est à la charge du locataire: Le propriétaire paie pour tous les services et le locataire est responsable de sa propre utilisation de l’éclairage et des prises électriques dans l’espace qu’il occupe.
6. Négociable ou sur demande: Cette option est utilisée lorsque le contact de location ne précise pas le type de loyer ou de service.
7. À déterminer: À déterminer ; utilisé pour les immeubles dont le type de services ou de loyer n’est pas connu, souvent quand l’immeuble n’est pas encore construit.
Plan de site
Sélectionner des locataires à Market Square
- Locataire
- Description
- Emplacements US
- Portée
- 7-Eleven
- Marché des dépanneurs
- 10 629
- International
- Dogtown Resorts
- Détaillant
- -
- -
- Dollar Tree
- Magasin à un dollar / Variété / Friperie
- 11 043
- International
- Fancy
- Hébergement et services alimentaires
- -
- -
- HR Block
- Finance et assurances
- -
- -
- omg! thrift
- Magasin à un dollar / Variété / Friperie
- 19
- National
| Locataire | Description | Emplacements US | Portée |
| 7-Eleven | Marché des dépanneurs | 10 629 | International |
| Dogtown Resorts | Détaillant | - | - |
| Dollar Tree | Magasin à un dollar / Variété / Friperie | 11 043 | International |
| Fancy | Hébergement et services alimentaires | - | - |
| HR Block | Finance et assurances | - | - |
| omg! thrift | Magasin à un dollar / Variété / Friperie | 19 | National |
Faits sur la propriété
| Superficie totale disponible | 4 000 pi² | Façade | 150’ le 436 Semoran |
| Min. divisible | 1 000 pi² | Superficie commerciale brute | 154 562 pi² |
| Type de centre | Centre de voisinage | Superficie totale du terrain | 22,34 AC |
| Stationnement | 608 places | Année de construction | 1973 |
| Propriétés du centre | 5 |
| Superficie totale disponible | 4 000 pi² |
| Min. divisible | 1 000 pi² |
| Type de centre | Centre de voisinage |
| Stationnement | 608 places |
| Propriétés du centre | 5 |
| Façade | 150’ le 436 Semoran |
| Superficie commerciale brute | 154 562 pi² |
| Superficie totale du terrain | 22,34 AC |
| Année de construction | 1973 |
À propos de la propriété
Le Centre est situé dans la ville de Casselberry et la région environnante est caractérisée par un mélange d'utilisateurs résidentiels et commerciaux notables. Le centre commercial Market Square est idéalement situé à quelques minutes du très riche sous-marché Winter Park, qui profite aux locataires du Centre en raison de la croissance du marché immédiat et de l'amélioration continue de la qualité de l'actif. Tous les colocataires bénéficient actuellement de la visibilité du centre à l'intersection éclairée de Howell Branch et du SR-436, qui est parcourue par 113 000 véhicules chaque jour. Nous croyons fermement que des concepts régionaux et nationaux solides visant l'expansion économique dans le marché d'aujourd'hui seraient un complément à la colocation et à l'emplacement privilégié de notre site.
- Ligne d'autobus
- Voie de virage obligatoire
- Enseigne sur pylône
- Système de sécurité
- Affichage
- Intersection avec signalisation
- CVCA contrôlé par le locataire
- Espace d'entreposage
- Affichage sur monument
- Climatisation
Principaux détaillants à proximité
Présenté par
Market Square | 1450 State Road 436
Hmm, il semble y avoir eu une erreur lors de l’envoi de votre message. Veuillez réessayer.
Merci! Votre message a été envoyé.
