Se Connecter/S’inscrire
Votre courriel a été envoyé.
147 Tamarack St
Herlong, CA 96113
Terrain À vendre
·
6,57 AC


Certaines informations ont été traduites automatiquement.
Faits saillants de l'investissement
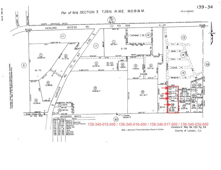
- ±7,01 CA (305 562 pi2) de terrain vacant avec 4 APN
- Situé à proximité de nouveaux ensembles résidentiels existants
- Secteur de croissance - Nouvelles écoles et projets résidentiels récemment construits/prévus
- Site idéal pour les PUD, les condos, les appartements ou les SFR
- Près des principaux corridors desservant le collège, l'aéroport, le centre-ville et les écoles
- Développements régionaux du commerce de détail à quelques minutes
Résumé de l'annonce
Terrain de développement résidentiel de premier ordre de ±305 562 pi2 (±7,01 acres) de terrain de développement résidentiel de premier ordre situé dans la zone d'opportunité située dans le centre de Herlong. Propriété flexible avec quartier résidentiel au nord et agriculture et pâturage au sud. Terrain de développement idéal avec accès direct à la rue Tamarack, adjacent aux habitations et aux services publics existants. Une servitude existante est en place, consacrant 25 pieds chacune à la parcelle ouest pour poursuivre la route Tamarack 955' sud, ce qui profite à la fois aux parcelles et aux aménagements. Le terrain est une toile vierge et propre pour les concepts flexibles, mesurant ± 320 pi de largeur sur 954,88 pi de profondeur, principalement à niveau avec un sol bon, et est accessible par des routes pavées qui entrent de la rue Tamarack par le chemin d'accès Herlong. Zonage flexible qui permet une variété d'utilisations résidentielles, agricoles et autres ; construction manufacturée ou perméante. La propriété dispose d'un accès rapide au CA-395, ce qui permet un accès pratique à toutes les principales autoroutes de la région.
Faits sur la propriété
| Type de vente | Investissement | Sous-type de propriété | Résidentiel |
| Nombre de lots | 1 | Utilisation proposée | Développement familial unique |
| Type de propriété | Terrain | Taille totale du lot | 6,57 AC |
| Zonage | R-1 - Développement résidentiel | ||
| Type de vente | Investissement |
| Nombre de lots | 1 |
| Type de propriété | Terrain |
| Sous-type de propriété | Résidentiel |
| Utilisation proposée | Développement familial unique |
| Taille totale du lot | 6,57 AC |
| Zonage | R-1 - Développement résidentiel |
1 Lot disponible
Lot
| Prix | 53 126 $ CAD | Taille du lot | 6,57 AC |
| Prix par AC | 8 086,12 $ CAD |
| Prix | 53 126 $ CAD |
| Prix par AC | 8 086,12 $ CAD |
| Taille du lot | 6,57 AC |
Impôts fonciers
| Numéros de lot | Évaluation des bâtiments | 0 $ CAD | |
| Évaluation du terrain | 55 578 $ CAD | Évaluation totale | 55 578 $ CAD |
Impôts fonciers
Numéros de lot
Évaluation du terrain
55 578 $ CAD
Évaluation des bâtiments
0 $ CAD
Évaluation totale
55 578 $ CAD
1 de 3
Vidéos
Visite extérieure 3D Matterport
Visite 3D Matterport
Photos
Vue depuis la rue
Rue
Carte
