Se Connecter/S’inscrire
Votre courriel a été envoyé.
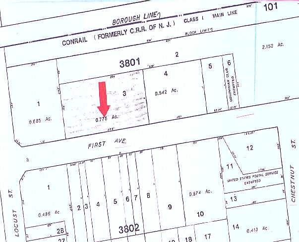
150 W 1st Ave
Roselle, NJ 07203
Blue Streak Used Cars · Industriel Propriété À vendre


Certaines informations ont été traduites automatiquement.
Résumé de l'annonce
This property offers approximately 7,000 square feet of versatile industrial and retail space on a 0.775-acre lot, featuring a 32-foot ceiling height and an additional ±1,000 square feet of office space. It includes ample parking and two oversized drive-in doors, making it ideal for a variety of uses. The space is available immediately and is conveniently located near major transportation routes, including the NJ Turnpike, Routes 1-9, Garden State Parkway, Goethals Bridge, Port Newark/Elizabeth, Newark Liberty Airport, and the New York City markets.
Faits sur la propriété
| Type de vente | Investissement ou propriétaire utilisateur | Aire du bâtiment louable | 7 000 pi² |
| Type de propriété | Industriel | Nombre d’étages | 1 |
| Sous-type de propriété | Entrepôt | Année de construction | 1957 |
| Classe d’immeuble | C | Location | Unique |
| Taille du lot | 0,77 AC | Nbre d’entrées dans les portes/au niveau du sol | 2 |
| Zonage | I - Industrial Zoning, classifying areas for manufacturing, warehousing, and distribution, with sub-districts like I-1 (Light Industrial) for lower-intensity, community-serving uses. | ||
| Type de vente | Investissement ou propriétaire utilisateur |
| Type de propriété | Industriel |
| Sous-type de propriété | Entrepôt |
| Classe d’immeuble | C |
| Taille du lot | 0,77 AC |
| Aire du bâtiment louable | 7 000 pi² |
| Nombre d’étages | 1 |
| Année de construction | 1957 |
| Location | Unique |
| Nbre d’entrées dans les portes/au niveau du sol | 2 |
| Zonage | I - Industrial Zoning, classifying areas for manufacturing, warehousing, and distribution, with sub-districts like I-1 (Light Industrial) for lower-intensity, community-serving uses. |
Commodités
- Terrain clôturé
Impôts fonciers
| Numéro de lot | 14-03801-0000-00003 | Évaluation des bâtiments | 110 231 $ CAD |
| Évaluation du terrain | 322 233 $ CAD | Évaluation totale | 432 464 $ CAD |
Impôts fonciers
Numéro de lot
14-03801-0000-00003
Évaluation du terrain
322 233 $ CAD
Évaluation des bâtiments
110 231 $ CAD
Évaluation totale
432 464 $ CAD
1 de 4
Vidéos
Visite extérieure 3D Matterport
Visite 3D Matterport
Photos
Vue depuis la rue
Rue
Carte
