Se Connecter/S’inscrire
Votre courriel a été envoyé.
150 W Sidney Ave
Villa Park, IL 60181
North Villa Park. 4 parcels total · Terrain À vendre
·
0,76 AC


Certaines informations ont été traduites automatiquement.
FAITS SAILLANTS DE L'INVESTISSEMENT
- Près du parc Twin Lakes, 2,5 km du sentier Salt Creek Greenway
- Situé au centre de toutes les grandes autoroutes et à seulement 20 minutes de l'aéroport O'Hare
RÉSUMÉ DE L'ANNONCE
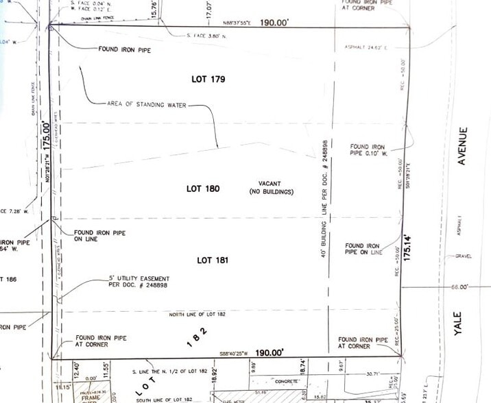
North Villa Park. 4 parcelles au total. Peut être combiné en 2 lots constructibles ou en une grande parcelle. 1 parcelle fait 25 x 190. 3 parcelles font 50 x 190. Les 182 181 et 180 lots sont constructibles. Le lot 179, le plus au nord, renferme des terres humides. Villa Park a une largeur minimale de 50 pi de terrain. 6 pi de verges latérales, 30 pi à l'avant et 40 pi à l'arrière. Vendeur prêt à construire pour convenir également. S'il vous plaît appelez si vous avez des questions. Sondage disponible pour examen. VIVEZ, PROFITEZ ET CONSTRUISEZ votre prochain projet ou la maison de vos rêves ! Procès-verbal d'Oakbrook, Elmhurst. Près du parc Twin Lakes, à 2,5 milles du sentier Salt Creek Greenway. Situé au centre de toutes les grandes autoroutes et à seulement 20 minutes de l'aéroport O'Hare
FAITS SUR LA PROPRIÉTÉ
| Type de vente | Investissement | Sous-type de propriété | Résidentiel |
| Nombre de lots | 1 | Utilisation proposée | Développement familial unique |
| Type de propriété | Terrain | Taille totale du lot | 0,76 AC |
| Zonage | Residential - Résidentiel unifamilial zoné | ||
| Type de vente | Investissement |
| Nombre de lots | 1 |
| Type de propriété | Terrain |
| Sous-type de propriété | Résidentiel |
| Utilisation proposée | Développement familial unique |
| Taille totale du lot | 0,76 AC |
| Zonage | Residential - Résidentiel unifamilial zoné |
1 LOT DISPONIBLE
Lot
| Prix | 248 872 $ CAD | Taille du lot | 0,76 AC |
| Prix par AC | 327 462,96 $ CAD |
| Prix | 248 872 $ CAD |
| Prix par AC | 327 462,96 $ CAD |
| Taille du lot | 0,76 AC |
North Villa Park. 4 parcelles au total. Peut être combiné en 2 lots constructibles ou en une grande parcelle. 1 parcelle fait 25 x 190. 3 parcelles font 50 x 190. Les 182 181 et 180 lots sont constructibles. Le lot 179, le plus au nord, renferme des terres humides. Villa Park dispose d'un terrain de 50 pieds minimum
1 de 9
VIDÉOS
VISITE EXTÉRIEURE 3D MATTERPORT
VISITE 3D MATTERPORT
PHOTOS
VUE DEPUIS LA RUE
RUE
CARTE
