Votre courriel a été envoyé.
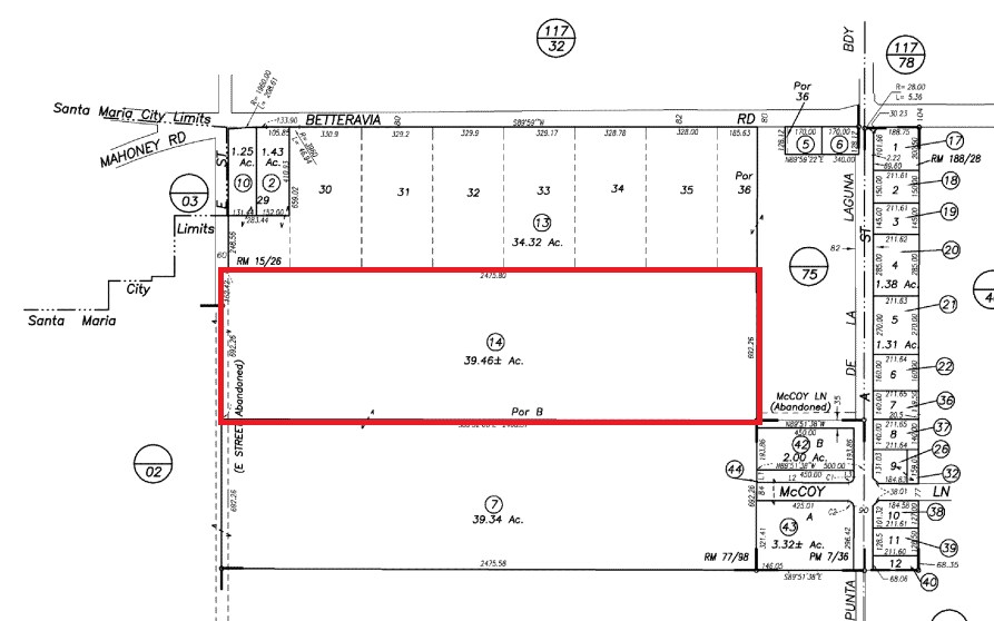
1500 W Betteravia Rd Lot • Terrain commercial • 39,46 Acres • 9 523 570 $ CAD • Santa Maria, CA 93455



Certaines informations ont été traduites automatiquement.
Faits sur la propriété
| Prix | 9 523 570 $ CAD | Sous-type de propriété | Terrain commercial |
| Type de vente | Investissement | Utilisation proposée | Commercial |
| Nombre de lots | 1 | Taille totale du lot | 39,46 AC |
| Type de propriété | Terrain |
| Prix | 9 523 570 $ CAD |
| Type de vente | Investissement |
| Nombre de lots | 1 |
| Type de propriété | Terrain |
| Sous-type de propriété | Terrain commercial |
| Utilisation proposée | Commercial |
| Taille totale du lot | 39,46 AC |
1 Lot disponible
Lot
| Prix | 9 523 570 $ CAD | Taille du lot | 39,46 AC |
| Prix par AC | 241 347,44 $ CAD |
| Prix | 9 523 570 $ CAD |
| Prix par AC | 241 347,44 $ CAD |
| Taille du lot | 39,46 AC |
Description
Nous offrons trois lots légaux zonés PDCM (Planned Development Commercial Manufacturing) et un espace ouvert de développement planifié (PDOS) plus grand à zone parcellaire (PDOS) « à vendre » sur l'artère très fréquentée de West Betteravia Road. La Ville de Santa Maria a exprimé sa volonté de coopérer à la modification de la zone et du plan général de la parcelle plus grande afin de la convertir en zonage industriel. Consultez le courtier pour plus de détails. Comme il est difficile de trouver des propriétés aménagables le long du chemin Betteravia, cette offre représente une occasion unique pour les promoteurs et les propriétaires-utilisateurs.
Impôts fonciers
| Numéro de lot | 111-040-014 | Évaluation des bâtiments | 0 $ CAD |
| Évaluation du terrain | 3 286 121 $ CAD | Évaluation totale | 3 286 121 $ CAD |
Impôts fonciers
Présenté par
1500 W Betteravia Rd
Hmm, il semble y avoir eu une erreur lors de l’envoi de votre message. Veuillez réessayer.
Merci! Votre message a été envoyé.
