Se Connecter/S’inscrire
Votre courriel a été envoyé.
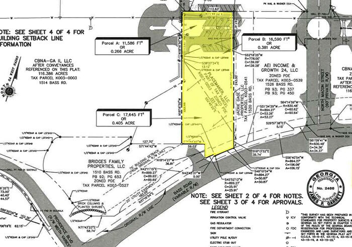
1516 Bass Road
Macon-Bibb, GA 31210
Providence Village Retail and Hotel Sites · Terrain À vendre
·
6,47 AC


Certaines informations ont été traduites automatiquement.
Faits saillants de l'investissement
- Tous les services publics jusqu'au site
Résumé de l'annonce
750 000$ par ac
Faits sur la propriété
| Type de vente | Investissement ou propriétaire utilisateur | Sous-type de propriété | Terrain commercial |
| Nombre de lots | 1 | Utilisation proposée | Hôtel |
| Type de propriété | Terrain | Taille totale du lot | 6,47 AC |
| Zonage | PDE | ||
| Type de vente | Investissement ou propriétaire utilisateur |
| Nombre de lots | 1 |
| Type de propriété | Terrain |
| Sous-type de propriété | Terrain commercial |
| Utilisation proposée | Hôtel |
| Taille totale du lot | 6,47 AC |
| Zonage | PDE |
1 Lot disponible
Lot
| Taille du lot | 6,47 AC |
| Taille du lot | 6,47 AC |
Trois (3) parcelles de terrain totalisant 6,477 acres de terrain très bien situées près de l'Interstate 75 (sortie 172)
Description
Parcelle 1- 1,052 acres de terrain de vente au détail avec ±112 pieds de façade sur le chemin Base, accès intérieur. Parcelle 2-0.838 acre de terrain de vente au détail avec ±124 pieds de façade sur le chemin Bass, accès intérieur. Parcelle 3 - Site hôtelier de 4,587 acres avec accès direct à l'intersection signalée du chemin Bass et du chemin Bowman.
1 de 6
Vidéos
Visite extérieure 3D Matterport
Visite 3D Matterport
Photos
Vue depuis la rue
Rue
Carte
