Se Connecter/S’inscrire
Votre courriel a été envoyé.
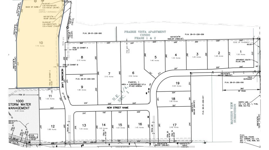
1529 N Main St - 48.99 Acres to develop - Springfield, IL MSA Lot • Terrain commercial • 48,99 Acres • Chatham, IL 62629


Certaines informations ont été traduites automatiquement.
Résumé de l'annonce
Cette propriété en question est l'occasion de s'aménager à l'intérieur de l'écart entre Chatham et Springfield avec un excellent accès et une visibilité directement à partir de la route 4. Situées au 1529 N Main St Chatham (IlL), ces deux parcelles disposent de 3 points d'accès qui assurent une sortie précieuse de la circulation résidentielle et commerciale voisine.
Les voisins commerciaux et commerciaux comprennent County Market, Dollar General, Walgreens, Goodwill, Snap Fitness, Pizza Hut, Casey's, Arby et AT&T.
Prix négociable, veuillez communiquer avec l'agent d'inscription pour plus de détails.
Les voisins commerciaux et commerciaux comprennent County Market, Dollar General, Walgreens, Goodwill, Snap Fitness, Pizza Hut, Casey's, Arby et AT&T.
Prix négociable, veuillez communiquer avec l'agent d'inscription pour plus de détails.
Faits sur la propriété
1 Lot disponible
Lot
| Taille du lot | 48,99 AC |
| Taille du lot | 48,99 AC |
Plutôt practicable à pied
30/100
Exceptionnellement facile d'accès en voiture
100/100
Impraticable en vélo
10/100
Impôts fonciers
| Numéros de lot | Évaluation des bâtiments | 0 $ CAD | |
| Évaluation du terrain | 57 954 $ CAD | Évaluation totale | 57 954 $ CAD |
Impôts fonciers
Numéros de lot
Évaluation du terrain
57 954 $ CAD
Évaluation des bâtiments
0 $ CAD
Évaluation totale
57 954 $ CAD
1 de 3
Vidéos
Visite extérieure 3D Matterport
Visite 3D Matterport
Photos
Vue depuis la rue
Rue
Carte
Présenté par
1529 N Main St - 48.99 Acres to develop - Springfield, IL MSA
Vous êtes déjà membre? Connectez-vous
Hmm, il semble y avoir eu une erreur lors de l’envoi de votre message. Veuillez réessayer.
Merci! Votre message a été envoyé.

