Se Connecter/S’inscrire
Votre courriel a été envoyé.
Certaines informations ont été traduites automatiquement.
Résumé de l'annonce
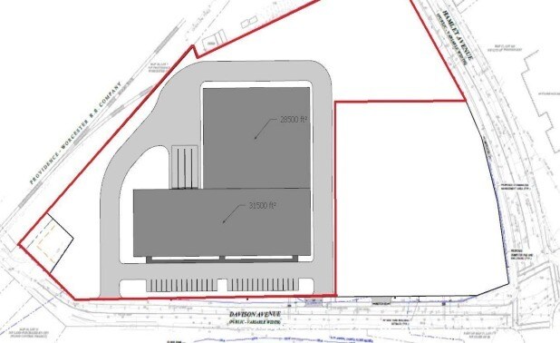
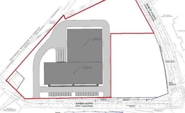
The site consists of 4.63 acres located in Woonsocket, Rhode Island
and considered to be the gateway site to downtown Woonsocket.
Approved, shovel ready, flat and compacted, there is the ability to fit
a 60,000 + square foot building on the site. The site is ideal for new
development as a possible retail center, marketplace, medical office
campus, auto dealership, light industrial or warehouse.
and considered to be the gateway site to downtown Woonsocket.
Approved, shovel ready, flat and compacted, there is the ability to fit
a 60,000 + square foot building on the site. The site is ideal for new
development as a possible retail center, marketplace, medical office
campus, auto dealership, light industrial or warehouse.
Faits sur la propriété
| Type de vente | Investissement | Sous-type de propriété | Terrain commercial |
| Condition de vente | Construction sur mesure | Taille totale du lot | 4,63 AC |
| Nombre de lots | 1 | Zone de développement économique |
Oui
|
| Type de propriété | Terrain |
| Type de vente | Investissement |
| Condition de vente | Construction sur mesure |
| Nombre de lots | 1 |
| Type de propriété | Terrain |
| Sous-type de propriété | Terrain commercial |
| Taille totale du lot | 4,63 AC |
| Zone de développement économique |
Oui |
1 Lot disponible
Lot
| Taille du lot | 6,50 AC |
| Taille du lot | 6,50 AC |
153 Hamlet Avenue is at the Gateway of downtown Woonsocket and highly visible with a solid traffic count. The site is located just off Cumberland Hill Road, close to Landmark Medical Center in Woonsocket, RI. The site is also located across from the
1 1
Assez praticable à pied
50/100
Exceptionnellement facile d’accès en voiture
90/100
Transports en commun très limités
10/100
Plutôt praticable en vélo
40/100
1 de 2
Vidéos
Visite extérieure 3D Matterport
Visite 3D Matterport
Photos
Vue depuis la rue
Rue
Carte
1 de 1
Présenté par
153 Hamlet Ave
Vous êtes déjà membre? Connectez-vous
Hmm, il semble y avoir eu une erreur lors de l’envoi de votre message. Veuillez réessayer.
Merci! Votre message a été envoyé.

