Votre courriel a été envoyé.
15520 Tamiami Trl - 6831 Hendry Creek Dr Lot • Terrain commercial • 5,19 Acres • 4 635 306 $ CAD • Fort Myers, FL 33908



Certaines informations ont été traduites automatiquement.
FAITS SAILLANTS DE L'INVESTISSEMENT
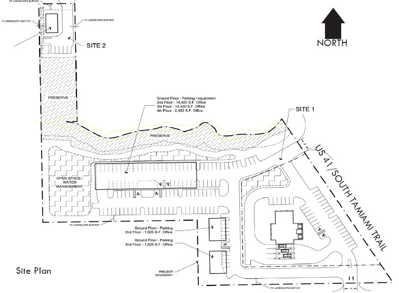
- The current CPD zoning permits a range is commercial uses, including dealerships.
- The site includes 8,717 SF of protected lands that have been incorporated into the current conceptual plan.
- Located adjacent to signal on Tamiami Trl enhancing visibility and benefiting from high traffic counts.
RÉSUMÉ DE L'ANNONCE
The parcel incorporates 8,717 square feet of protected lands into its conceptual development plan, maximizing land use efficiency while preserving natural features.
Positioned in a high-traffic area with strong surrounding demographics, this site offers an outstanding opportunity for developers and investors seeking a prime Fort Myers location.
FAITS SUR LA PROPRIÉTÉ
| Prix | 4 635 306 $ CAD | Sous-type de propriété | Terrain commercial |
| Type de vente | Investissement | Utilisation proposée | Commercial |
| Nombre de lots | 1 | Taille totale du lot | 5,19 AC |
| Type de propriété | Terrain | Rues transversales | Lake Devonwood Dr. |
| Zonage | CPD - Développement Commercial Planifié | ||
| Prix | 4 635 306 $ CAD |
| Type de vente | Investissement |
| Nombre de lots | 1 |
| Type de propriété | Terrain |
| Sous-type de propriété | Terrain commercial |
| Utilisation proposée | Commercial |
| Taille totale du lot | 5,19 AC |
| Rues transversales | Lake Devonwood Dr. |
| Zonage | CPD - Développement Commercial Planifié |
1 LOT DISPONIBLE
Lot
| Prix | 4 635 306 $ CAD | Taille du lot | 5,19 AC |
| Prix par AC | 893 122,56 $ CAD |
| Prix | 4 635 306 $ CAD |
| Prix par AC | 893 122,56 $ CAD |
| Taille du lot | 5,19 AC |
The current CPD zoning permits a range is commercial uses, including dealerships. The site includes 8,717 SF of protected lands that have been incorporated into the current conceptual plan.
DESCRIPTION
Ce site commercial exceptionnel est situé le long de la très animée Tamiami Trail, à proximité immédiate d'une intersection avec feux de signalisation, offrant une visibilité et une accessibilité maximales. Zoné CPD (Lake Devonwood Plaza), la propriété est approuvée pour une large gamme d'usages commerciaux, y compris les concessions automobiles, et permet jusqu'à 95 000 pieds carrés de développement commercial — dont jusqu'à 30 000 pieds carrés réservés à l'utilisation de détail. Le terrain intègre 8 717 pieds carrés de terres protégées dans son plan de développement conceptuel, optimisant l'efficacité de l'utilisation du sol tout en préservant les caractéristiques naturelles. Situé dans une zone à fort trafic avec des données démographiques solides dans les environs, ce site représente une opportunité exceptionnelle pour les développeurs et investisseurs à la recherche d'un emplacement de choix à Fort Myers.
Impôts fonciers
| Numéros de lot | Évaluation des bâtiments | 0 $ CAD | |
| Évaluation du terrain | 0 $ CAD | Évaluation totale | 1 830 099 $ CAD |
Impôts fonciers
Présenté par
15520 Tamiami Trl - 6831 Hendry Creek Dr
Hmm, il semble y avoir eu une erreur lors de l’envoi de votre message. Veuillez réessayer.
Merci! Votre message a été envoyé.
