Votre courriel a été envoyé.
15550 Haggerty Rd - Commercial Land in an Affluent Neighborhood Lot • Terrain commercial • 2,15 Acres • 2 076 750 $ CAD • Northville, MI 48170


Certaines informations ont été traduites automatiquement.
FAITS SAILLANTS DE L'INVESTISSEMENT
- Build to Suit/Ground Lease Opportunity | 2.15 Acres
- Also Ideal for Hotel or Multi-Family Development
- Vibrant Locale | Growing 195K People in 5 Mile RadiusI-275
- Ideal for Medical/Hospital/Office/Retail Credit Tenant User
- High Growth Pocket on Haggerty between 5 & 6 Mile
- Minutes From The Inn at St. John’s | AAA Four Diamond Hotel
RÉSUMÉ DE L'ANNONCE
Idéal pour les utilisateurs de crédits médicaux, hospitaliers, bureau/détaillants
Également idéal pour l'hôtellerie ou le développement multifamilial
Poche à forte croissance sur Haggerty entre 5 et 6 milles
Propriété zonée B1 Entreprise locale | Commercial
Commerce de détail et quartier résidentiel à haute densité avec démos fortes et denses
Nombre de trafic solide | Plus de 24 000 VPD | Facilité d'accès immédiate
Local dynamique | Croissance de 195 000 personnes dans un rayon de 5 milesi-275
Nouveau 36 000 m2 Ft Medical/bureau à côté
À quelques minutes de l'auberge de St. John's | AAA Four Diamond Hotel
Joignez-vous à Bosch, au Collège Schoolcraft, au centre de golf Oasis, au stade St. Joes, au Kroger McDonald's et au marché italien de Cantoro
FAITS SUR LA PROPRIÉTÉ
1 LOT DISPONIBLE
Lot
| Prix | 2 076 750 $ CAD | Taille du lot | 2,15 AC |
| Prix par AC | 965 930,25 $ CAD |
| Prix | 2 076 750 $ CAD |
| Prix par AC | 965 930,25 $ CAD |
| Taille du lot | 2,15 AC |
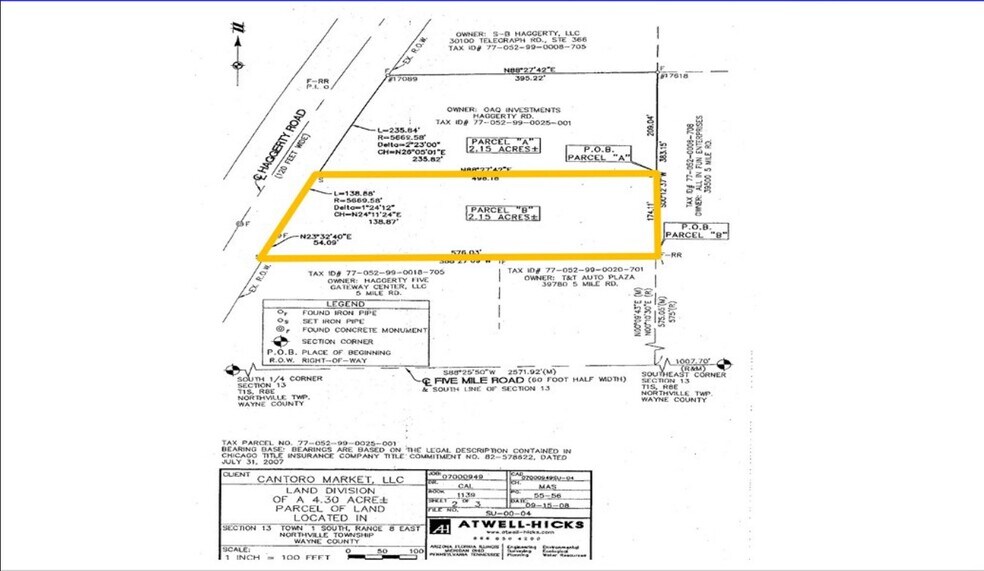
2.15 Acre land opportunity for development along Haggerty Road just north of Five Mile Road in Northville Township.
DESCRIPTION
15550 Haggerty Road à Northville, Michigan, est une opportunité de développement sur un terrain de 2,15 acres situé le long de Haggerty Road, juste au nord de Five Mile Road dans le canton de Northville. La zone commerciale immédiate offre plusieurs attraits, notamment Kroger, le marché et restaurant italien Cantero, Bosch (850 employés) et le centre de golf Oasis, qui opèrent tous dans le marché local.
COMMODITÉS
- Services publics
Présenté par
15550 Haggerty Rd - Commercial Land in an Affluent Neighborhood
Hmm, il semble y avoir eu une erreur lors de l’envoi de votre message. Veuillez réessayer.
Merci! Votre message a été envoyé.
