Se Connecter/S’inscrire
Votre courriel a été envoyé.
156-158 Seventh Ave 3 358 pi² 100% Loué Commerce de détail Immeuble New York, NY 10011 15 673 809 $ CAD (4 667,60 $ CAD/pi²)


Certaines informations ont été traduites automatiquement.
Faits saillants de l'investissement
- 22,080 total buildable square feet with Commercial FAR.
- Ideal opportunity for boutique Office, Hotel, Rental, or Condominium building
- Close proximity to High Line, West Side Highway, Chelsea Piers, Meatpacking District, Flatiron District, and Union Square
- 27,684 total buildable square feet with Residential FAR and 31,280 maximum ZFA with IHP FAR.
- 46’ of frontage on Seventh Avenue provides continuous exposure for ground floor retail
Résumé de l'annonce
Judson CRE LLC as exclusive agent, is pleased to offer for sale 156-158 Seventh Avenue, a single-story commercial property on a 3,680 square foot lot. With an as-built FAR of 0.94, the lot is zoned C6-3A (R9A equivalent) with a 6.0 FAR for hotel, office, community facility, retail or any variation of mixed-use and 7.52 FAR for residential. This brings the total BSF for development to approximately 22,080 square feet and 27,674 square feet respectively, with the ability to add another approximately 1.0 FAR for
residential through the Inclusionary Housing Program (IHP) by acquiring CB4 air rights.
The site features 46’ of valuable retail frontage on Seventh Avenue between West 19th and West 20th Streets. With a maximum building height of 145 ft., new developments must set back 10 ft. from Seventh Avenue and 15 ft. from West 19th Street.
residential through the Inclusionary Housing Program (IHP) by acquiring CB4 air rights.
The site features 46’ of valuable retail frontage on Seventh Avenue between West 19th and West 20th Streets. With a maximum building height of 145 ft., new developments must set back 10 ft. from Seventh Avenue and 15 ft. from West 19th Street.
Faits sur la propriété
Type de vente
Investissement ou propriétaire utilisateur
Condition de vente
Projet de redéveloppement
Type de propriété
Commerce de détail
Sous-type de propriété
Restaurant
Taille du bâtiment
3 358 pi²
Classe d’immeuble
C
Année de construction
1920
Prix
15 673 809 $ CAD
Prix par pi²
4 667,60 $ CAD
Pourcentage loué
100%
Location
Multiples
Hauteur du bâtiment
1 étage
Coefficient d’occupation des sols de l’immeuble
0,96
Taille du lot
0,08 AC
Zonage
C6-3A
Façade
46’ sur 7th Ave
Commodités
- Ligne d'autobus
- Métro
Principaux locataires
- Locataire
- Secteur
- pi² Occupé
- Loyer/pi²
- Fin du bail
- Craft & Carry
- -
- -
- -
- -
- Elmo Restaurant
- Détaillant
- -
- -
- -
- Hungry Ghost
- -
- -
- -
- -
- National Lesbian & Gay
- Services
- -
- -
- -
| Locataire | Secteur | pi² Occupé | Loyer/pi² | Fin du bail | ||
| Craft & Carry | - | - | - | - | ||
| Elmo Restaurant | Détaillant | - | - | - | ||
| Hungry Ghost | - | - | - | - | ||
| National Lesbian & Gay | Services | - | - | - |
Walk Score®
Un paradis pour un marcheur (100)
Transit Score®
Un paradis pour conducteur (100)
Bike Score®
Un paradis pour un cycliste (94)
Principaux détaillants à proximité
Impôts fonciers
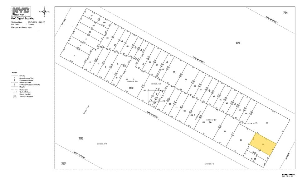
| Numéro de lot | 0769-0036 | Évaluation des bâtiments | 1 213 443 $ CAD |
| Évaluation du terrain | 1 011 983 $ CAD | Évaluation totale | 2 225 426 $ CAD |
Impôts fonciers
Numéro de lot
0769-0036
Évaluation du terrain
1 011 983 $ CAD
Évaluation des bâtiments
1 213 443 $ CAD
Évaluation totale
2 225 426 $ CAD
1 de 3
Vidéos
Visite extérieure 3D Matterport
Visite 3D Matterport
Photos
Vue depuis la rue
Rue
Carte
Présenté par
156-158 Seventh Ave
Vous êtes déjà membre? Connectez-vous
Hmm, il semble y avoir eu une erreur lors de l’envoi de votre message. Veuillez réessayer.
Merci! Votre message a été envoyé.
