Se Connecter/S’inscrire
Votre courriel a été envoyé.
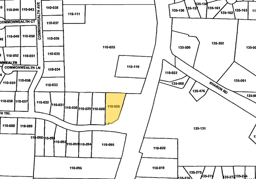
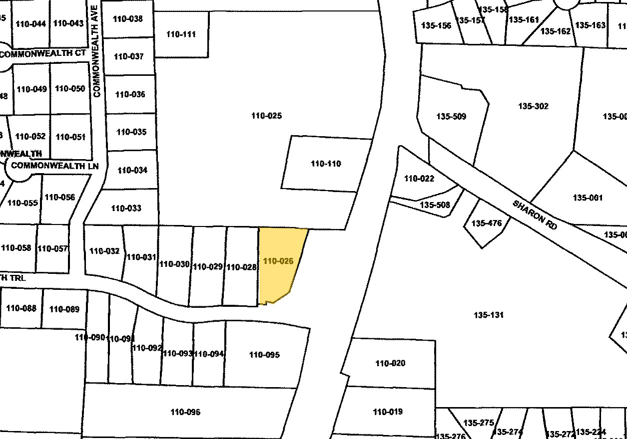
1564 Peachtree Pky
Cumming, GA 30041
Commercial Acreage · Terrain À louer


Certaines informations ont été traduites automatiquement.
Faits saillants
- Des données démographiques formidables avec un revenu moyen des ménages de 223 498$ par année.
- Grande visibilité sur Peachtree Parkway avec un nombre de trafic de 36 000 VPM.
- Bien situé à Cumming, l'une des plus grandes banlieues d'Atlanta et dont la croissance est la plus rapide.
Aperçu de la propriété
Stratégiquement positionné en face d'un centre commercial Kroger performant avec un accès facile au GA-400.
Faits sur la propriété
1 de 3
Vidéos
Visite extérieure 3D Matterport
Visite 3D Matterport
Photos
Vue depuis la rue
Rue
Carte
