Votre courriel a été envoyé.
Heritage Sussex 1572 Sussex Tpke 5 200 pi² d'espace disponible • Flex • Randolph, NJ 07869



Certaines informations ont été traduites automatiquement.
Caractéristiques
Tous les espaces disponibles(1)
Afficher les taux de location en
- Espace
- Taille
- Terme
- Taux de location
- Utilisation de l’espace
- Aménagement
- Disponible
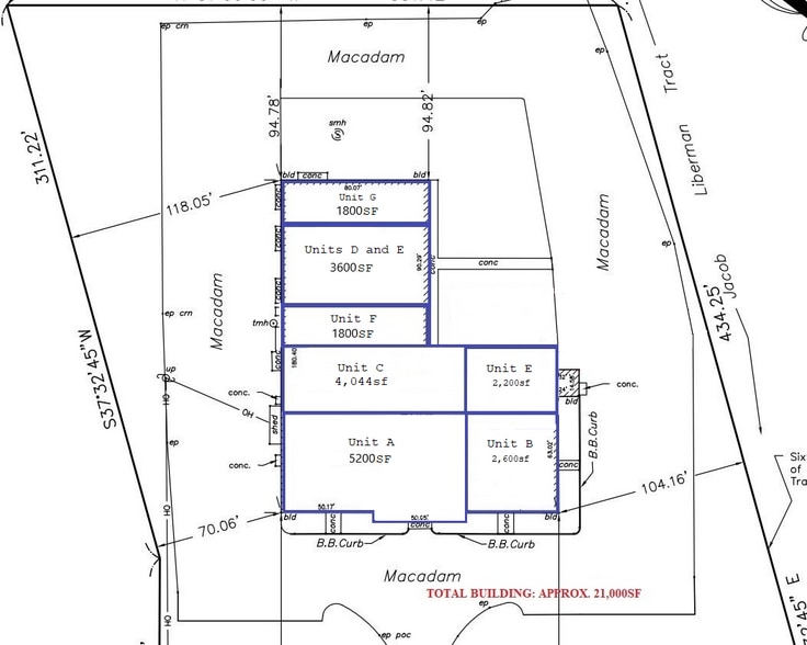
This Unit is the front unit of the building and will be facing the entrance from Sussex Turnpike. Unit is approx. 5,200sf and mostly open. The monthly rent for this unit will be $8,500.00/month with tenant paying own utilities (gas and electric) and share of property snow removal. No other CAM charges.
- Le taux inscrit peut ne pas comprendre certains services publics, les services de bâtiment et les dépenses immobilières.
- Bureaux partitionnés
- Entreposage sécurisé
- Accessible aux fauteuils roulants
- Natural Light
- Partitioned Offices
- Air central et chauffage
- Salle de bains privée
- Hauts plafonds
- Front Space
- Plenty of Parking
- Open Area
| Espace | Taille | Terme | Taux de location | Utilisation de l’espace | Aménagement | Disponible |
| 1er étage - Unit A | 5 200 pi² | Négociable | 28,00 $ CAD/pi²/an 2,33 $ CAD/pi²/mois 145 593 $ CAD/an 12 133 $ CAD/mois | Flex | construction partielle | Maintenant |
1er étage - Unit A
| Taille |
| 5 200 pi² |
| Terme |
| Négociable |
| Taux de location |
| 28,00 $ CAD/pi²/an 2,33 $ CAD/pi²/mois 145 593 $ CAD/an 12 133 $ CAD/mois |
| Utilisation de l’espace |
| Flex |
| Aménagement |
| construction partielle |
| Disponible |
| Maintenant |
1er étage - Unit A
| Taille | 5 200 pi² |
| Terme | Négociable |
| Taux de location | 28,00 $ CAD/pi²/an |
| Utilisation de l’espace | Flex |
| Aménagement | construction partielle |
| Disponible | Maintenant |
This Unit is the front unit of the building and will be facing the entrance from Sussex Turnpike. Unit is approx. 5,200sf and mostly open. The monthly rent for this unit will be $8,500.00/month with tenant paying own utilities (gas and electric) and share of property snow removal. No other CAM charges.
- Le taux inscrit peut ne pas comprendre certains services publics, les services de bâtiment et les dépenses immobilières.
- Air central et chauffage
- Bureaux partitionnés
- Salle de bains privée
- Entreposage sécurisé
- Hauts plafonds
- Accessible aux fauteuils roulants
- Front Space
- Natural Light
- Plenty of Parking
- Partitioned Offices
- Open Area
Aperçu de la propriété
This property was the old Randolph DMV building. Property was updated in 2022/2023 with new ownership. Entire building is brick with drive-ins only. Plenty of parking available. SALE IS POSSIBLE! Contact for price and details.
Faits sur la propriété
Présenté par
Heritage Sussex | 1572 Sussex Tpke
Hmm, il semble y avoir eu une erreur lors de l’envoi de votre message. Veuillez réessayer.
Merci! Votre message a été envoyé.


