Se Connecter/S’inscrire
Votre courriel a été envoyé.
Certaines informations ont été traduites automatiquement.
Faits saillants
- Événement révolutionnaire au printemps 2023
Caractéristiques
Hauteur libre
20’
Baies d’entrée
57
Portes de quai de chargement extérieures
4
Places de stationnement standard
173
Tous les espaces disponibles(1)
Afficher les taux de location en
- Espace
- Taille
- Terme
- Taux de location
- Utilisation de l’espace
- Aménagement
- Disponible
- Espace en excellent état
| Espace | Taille | Terme | Taux de location | Utilisation de l’espace | Aménagement | Disponible |
| 1er étage | 2 475 à 108 900 pi² | 1 an | Sur demande Sur demande Sur demande Sur demande | Industriel | construction partielle | 30 jours |
1er étage
| Taille |
| 2 475 à 108 900 pi² |
| Terme |
| 1 an |
| Taux de location |
| Sur demande Sur demande Sur demande Sur demande |
| Utilisation de l’espace |
| Industriel |
| Aménagement |
| construction partielle |
| Disponible |
| 30 jours |
1er étage
| Taille | 2 475 à 108 900 pi² |
| Terme | 1 an |
| Taux de location | Sur demande |
| Utilisation de l’espace | Industriel |
| Aménagement | construction partielle |
| Disponible | 30 jours |
- Espace en excellent état
Aperçu de la propriété
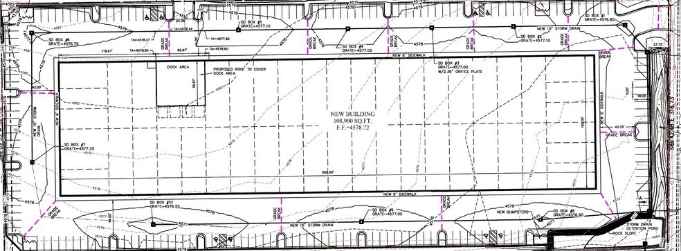
Avec le printemps 2023 révolutionnaire, cet espace est idéal pour tout locataire à la recherche d'un environnement nouveau et moderne pour faire son propre choix ! Cette propriété comprendra 108 900 pi2 d'entrepôts et de locaux à bureaux neufs situés dans la zone de fabrication d'Orem et juste à l'ouest de l'échangeur I-15 800 N.
Faits sur l’installation fabrication
Taille du bâtiment
108 900 pi²
Taille du lot
6,00 AC
Année de construction
2027
Zonage
M-2 - Fabrication
1 1
Assez praticable à pied
40/100
Exceptionnellement facile d’accès en voiture
100/100
Transports en commun limités
20/100
Assez praticable en vélo
30/100
1 de 4
Vidéos
Visite extérieure 3D Matterport
Visite 3D Matterport
Photos
Vue depuis la rue
Rue
Carte
1 de 1
Présenté par
1580 W 800 N
Vous êtes déjà membre? Connectez-vous
Hmm, il semble y avoir eu une erreur lors de l’envoi de votre message. Veuillez réessayer.
Merci! Votre message a été envoyé.



