Se Connecter/S’inscrire
Votre courriel a été envoyé.
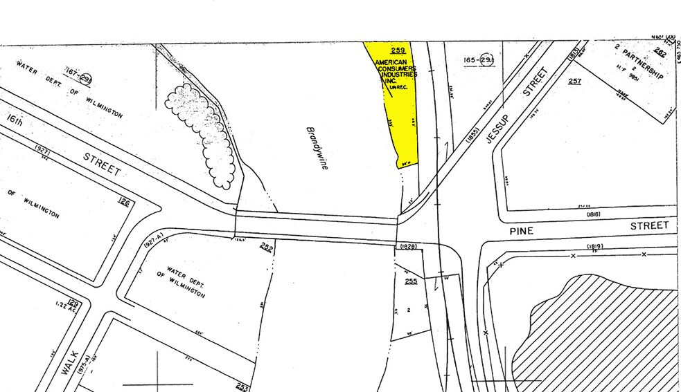
1601 N Jessup St 20 000 pi² Industriel Immeuble Wilmington, DE 19802 3 008 896 $ CAD (150,44 $ CAD/pi²)



Certaines informations ont été traduites automatiquement.
Résumé de l'annonce
Résidentiel/commercial au bord de l'eau, ce qui permet la location d'appartements commerciaux, industriels, de bureaux, de restaurants, d'appartements ou de condos. Le propriétaire peut envisager de vendre.
Faits sur la propriété
| Prix | 3 008 896 $ CAD | Nombre d’étages | 2 |
| Prix par pi² | 150,44 $ CAD | Année de construction/rénovation | 1943/2005 |
| Type de vente | Investissement ou propriétaire utilisateur | Location | Unique |
| Type de propriété | Industriel | Ratio de stationnement | 2,25/1 000 pi² |
| Sous-type de propriété | Manufacture | Effacer hauteur du plafond | 14’ |
| Classe d’immeuble | C | Nbre de quais à portes élevées/de chargement | 1 |
| Taille du lot | 0,79 AC | Nbre d’entrées dans les portes/au niveau du sol | 1 |
| Aire du bâtiment louable | 20 000 pi² | Zone de développement économique |
Oui
|
| Zonage | W6W4 - noté pour soutenir une gamme d'utilisations potentielles, y compris restaurant, bureau créatif et fabrication, tel que permis par la désignation de zonage W6W4 | ||
| Prix | 3 008 896 $ CAD |
| Prix par pi² | 150,44 $ CAD |
| Type de vente | Investissement ou propriétaire utilisateur |
| Type de propriété | Industriel |
| Sous-type de propriété | Manufacture |
| Classe d’immeuble | C |
| Taille du lot | 0,79 AC |
| Aire du bâtiment louable | 20 000 pi² |
| Nombre d’étages | 2 |
| Année de construction/rénovation | 1943/2005 |
| Location | Unique |
| Ratio de stationnement | 2,25/1 000 pi² |
| Effacer hauteur du plafond | 14’ |
| Nbre de quais à portes élevées/de chargement | 1 |
| Nbre d’entrées dans les portes/au niveau du sol | 1 |
| Zone de développement économique |
Oui |
| Zonage | W6W4 - noté pour soutenir une gamme d'utilisations potentielles, y compris restaurant, bureau créatif et fabrication, tel que permis par la désignation de zonage W6W4 |
Commodités
- Accès 24 heures
- Ligne d'autobus
- Terrain clôturé
- Système de sécurité
- Affichage
- Bord de l’eau
Services publics
- Eau - Ville
- Égout - Ville
Disponibilité des espaces
- Espace
- Taille
- Utilisation de l’espace
- Aménagement
- Disponible
- 1er étage
- 20 000 pi²
- Industriel
- construction partielle
- 30 jours
| Espace | Taille | Utilisation de l’espace | Aménagement | Disponible |
| 1er étage | 20 000 pi² | Industriel | construction partielle | 30 jours |
1er étage
| Taille |
| 20 000 pi² |
| Utilisation de l’espace |
| Industriel |
| Aménagement |
| construction partielle |
| Disponible |
| 30 jours |
1 1
Moyennement praticable à pied
70/100
Moyennement facile d’accès en voiture
60/100
Transports en commun relativement accessibles
40/100
Plutôt praticable en vélo
50/100
Impôts fonciers
| Numéro de lot | 26-029.30-259 | Évaluation des bâtiments | 742 540 $ CAD |
| Évaluation du terrain | 212 076 $ CAD | Évaluation totale | 954 616 $ CAD |
Impôts fonciers
Numéro de lot
26-029.30-259
Évaluation du terrain
212 076 $ CAD
Évaluation des bâtiments
742 540 $ CAD
Évaluation totale
954 616 $ CAD
1 de 57
Vidéos
Visite extérieure 3D Matterport
Visite 3D Matterport
Photos
Vue depuis la rue
Rue
Carte
1 de 1
Présenté par
1601 N Jessup St
Vous êtes déjà membre? Connectez-vous
Hmm, il semble y avoir eu une erreur lors de l’envoi de votre message. Veuillez réessayer.
Merci! Votre message a été envoyé.
