Se Connecter/S’inscrire
Votre courriel a été envoyé.
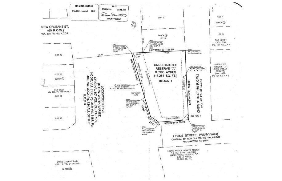
1609 Chew St
Houston, TX 77020
Lyons Crossing · Terrain À louer


Certaines informations ont été traduites automatiquement.
Faits saillants
- Terrain en coin dur
- Easy access to US-90 & I-10
- Zone à fort trafic depuis la gare d'autobus du métro adjacente
Aperçu de la propriété
• Terrain de 17 284 SF disponible pour bail foncier ou construction en fonction des besoins • Terrain de coin dur • Accès à partir de la rue Chew et de la promenade Lockwood • Accès facile aux US-90 et I-10 • À proximité du centre-ville, de Midtown et d'autres grands développements de boucle intérieure • Zone très achalandée à partir de la gare d'autobus adjacente du métro
Faits sur la propriété
| Superficie totale disponible | 0,40 AC | Sous-type de propriété | Terrain commercial |
| Type de propriété | Terrain | Utilisation proposée | Commerce de détail |
| Superficie totale disponible | 0,40 AC |
| Type de propriété | Terrain |
| Sous-type de propriété | Terrain commercial |
| Utilisation proposée | Commerce de détail |
1 de 4
Vidéos
Visite extérieure 3D Matterport
Visite 3D Matterport
Photos
Vue depuis la rue
Rue
Carte
