Se Connecter/S’inscrire
Votre courriel a été envoyé.
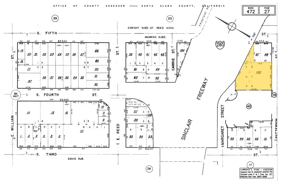
161 Patterson St
San Jose, CA 95112
Industriel Propriété À vendre


Certaines informations ont été traduites automatiquement.
Résumé de l'annonce
14,400 SF Industrial Concrete Tilt Up Building on .86 Acres
4 Large Oversized Grade Level Doors
Front Part of the Building Includes 2-Story Office
Secured Side Yard and Backyard
Conveniently located off Highway 280 and south of Downtown San Jose
4 Large Oversized Grade Level Doors
Front Part of the Building Includes 2-Story Office
Secured Side Yard and Backyard
Conveniently located off Highway 280 and south of Downtown San Jose
Faits sur la propriété
| Type de vente | Investissement ou propriétaire utilisateur | Nombre d’étages | 1 |
| Type de propriété | Industriel | Année de construction | 1982 |
| Classe d’immeuble | C | Location | Unique |
| Taille du lot | 0,86 AC | Ratio de stationnement | 0,69/1 000 pi² |
| Aire du bâtiment louable | 14 400 pi² | Zone de développement économique |
Oui
|
| Zonage | M1 | ||
| Type de vente | Investissement ou propriétaire utilisateur |
| Type de propriété | Industriel |
| Classe d’immeuble | C |
| Taille du lot | 0,86 AC |
| Aire du bâtiment louable | 14 400 pi² |
| Nombre d’étages | 1 |
| Année de construction | 1982 |
| Location | Unique |
| Ratio de stationnement | 0,69/1 000 pi² |
| Zone de développement économique |
Oui |
| Zonage | M1 |
Commodités
- Affichage
Impôts fonciers
| Numéro de lot | 472-27-105 | Évaluation des bâtiments | 979 939 $ CAD |
| Évaluation du terrain | 592 110 $ CAD | Évaluation totale | 1 572 049 $ CAD |
Impôts fonciers
Numéro de lot
472-27-105
Évaluation du terrain
592 110 $ CAD
Évaluation des bâtiments
979 939 $ CAD
Évaluation totale
1 572 049 $ CAD
1 de 5
Vidéos
Visite extérieure 3D Matterport
Visite 3D Matterport
Photos
Vue depuis la rue
Rue
Carte
