Se Connecter/S’inscrire
Votre courriel a été envoyé.
16202 Hwy 53 - 27 ACRE DEVELOPMENT SITE AT HWY 49 & HWY 53 Lot • Terrain commercial • 21 Acres • 1 972 739 $ CAD • Gulfport, MS 39503



Certaines informations ont été traduites automatiquement.
Résumé de l'annonce
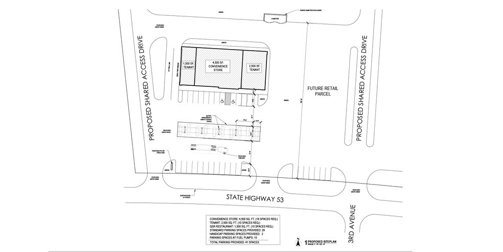
Southeast Commercial est heureuse d'offrir à la vente ce site de développement de choix d'environ 21 acres. La propriété est située dans le quadrant NW de l'intersection de la route 49 et de l'autoroute 53, où elle a +/- 325 pieds de façade. Le sujet porte sur le zonage multifamilial et commercial. La propriété permet un accès facile à l'autoroute 49 par une intersection à quatre voies de signalisation. Des plans pour un dépanneur au coin sud-ouest de la propriété sont en place. L'étang n'est plus sur le site.
Faits sur la propriété
| Prix | 1 972 739 $ CAD | Sous-type de propriété | Terrain commercial |
| Type de vente | Investissement | Taille totale du lot | 21,00 AC |
| Nombre de lots | 1 | Zone de développement économique |
Oui
|
| Type de propriété | Terrain |
| Prix | 1 972 739 $ CAD |
| Type de vente | Investissement |
| Nombre de lots | 1 |
| Type de propriété | Terrain |
| Sous-type de propriété | Terrain commercial |
| Taille totale du lot | 21,00 AC |
| Zone de développement économique |
Oui |
1 Lot disponible
Lot
| Prix | 1 972 739 $ CAD | Taille du lot | 21,00 AC |
| Prix par AC | 93 939,98 $ CAD |
| Prix | 1 972 739 $ CAD |
| Prix par AC | 93 939,98 $ CAD |
| Taille du lot | 21,00 AC |
1 1
Impraticable à pied
10/100
Exceptionnellement facile d’accès en voiture
100/100
Impraticable en vélo
10/100
Impôts fonciers
| Numéro de lot | 0706-20-026.000 | Évaluation des bâtiments | 0 $ CAD |
| Évaluation du terrain | 0 $ CAD | Évaluation totale | 4 189 $ CAD |
Impôts fonciers
Numéro de lot
0706-20-026.000
Évaluation du terrain
0 $ CAD
Évaluation des bâtiments
0 $ CAD
Évaluation totale
4 189 $ CAD
1 de 4
Vidéos
Visite extérieure 3D Matterport
Visite 3D Matterport
Photos
Vue depuis la rue
Rue
Carte
1 de 1
Présenté par
16202 Hwy 53 - 27 ACRE DEVELOPMENT SITE AT HWY 49 & HWY 53
Vous êtes déjà membre? Connectez-vous
Hmm, il semble y avoir eu une erreur lors de l’envoi de votre message. Veuillez réessayer.
Merci! Votre message a été envoyé.
