Votre courriel a été envoyé.
16260 Church St 16 832 pi² 100% Loué Industriel Immeuble Morgan Hill, CA 95037 7 044 376 $ CAD (418,51 $ CAD/pi²) 4,92% Taux de capitalisation



Certaines informations ont été traduites automatiquement.
Faits saillants de l'investissement
- Rare owner/user investment opportunity to secure an attractive and well-maintained 16,832-square-foot multi-tenant industrial facility.
- Leased under market rates, a tenant is moving out in Spring 2026, providing the opportunity for immediate occupancy and potential rent upside.
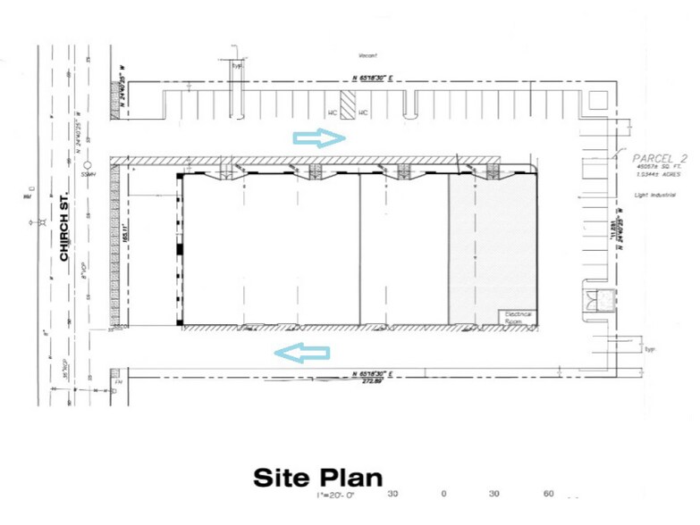
- 16260 Church Street is currently configured for three units and has the potential to be converted back into four units as designed.
- Achieve property features such as heavy 1,600-amp, 480/277-volt, 3-phase power, expansive HVAC systems, and ample parking with 37 surface spaces.
- Conveniently located just four minutes from Highway 101, providing swift routes south to San Jose in 15 miles to access a population totaling 1.03M.
Résumé de l'annonce
With Sempera Organics' lease expiring in May 2026, owner/users can occupy approximately half of the building. Investors can also see significant upside in lease-up opportunities at significantly higher rents than currently realized. The cap rate listed is based on the relet on the upcoming vacancy.
Morgan Hill is a vibrant city in Santa Clara County located in South Silicon Valley, just 10 miles south of San Jose. Morgan Hill's ideal location offers residents and visitors a vibrant downtown, year-round outdoor recreational activities, including cycling, golfing, swimming, and boating.
16260 Church Street presents a rare opportunity for both investors and owner/users to secure a versatile, income-generating industrial asset in a desirable South Silicon Valley location, combining flexible occupancy options, future growth potential, and the benefits of Morgan Hill’s dynamic community and amenities.
Bilan financier (Pro forma - 2026) Cliquez ici pour accéder à |
Annuel (CAD) | Annuel par pi² (CAD) |
|---|---|---|
| Revenu de location brut |
$99,999
|
$9.99
|
| Autres revenus |
-
|
-
|
| Perte due à l’inoccupation |
-
|
-
|
| Revenu brut effectif |
$99,999
|
$9.99
|
| Taxes |
$99,999
|
$9.99
|
| Dépenses d’exploitation |
$99,999
|
$9.99
|
| Total des dépenses |
$99,999
|
$9.99
|
| Revenu net d’exploitation |
$99,999
|
$9.99
|
Bilan financier (Pro forma - 2026) Cliquez ici pour accéder à
| Revenu de location brut (CAD) | |
|---|---|
| Annuel | $99,999 |
| Annuel par pi² | $9.99 |
| Autres revenus (CAD) | |
|---|---|
| Annuel | - |
| Annuel par pi² | - |
| Perte due à l’inoccupation (CAD) | |
|---|---|
| Annuel | - |
| Annuel par pi² | - |
| Revenu brut effectif (CAD) | |
|---|---|
| Annuel | $99,999 |
| Annuel par pi² | $9.99 |
| Taxes (CAD) | |
|---|---|
| Annuel | $99,999 |
| Annuel par pi² | $9.99 |
| Dépenses d’exploitation (CAD) | |
|---|---|
| Annuel | $99,999 |
| Annuel par pi² | $9.99 |
| Total des dépenses (CAD) | |
|---|---|
| Annuel | $99,999 |
| Annuel par pi² | $9.99 |
| Revenu net d’exploitation (CAD) | |
|---|---|
| Annuel | $99,999 |
| Annuel par pi² | $9.99 |
Faits sur la propriété
Commodités
- Accès 24 heures
- Installations de conférences
- Système de sécurité
- Affichage
- Accessible aux fauteuils roulants
- Réception
- Affichage sur monument
- Climatisation
Services publics
- Éclairage
- Gaz - Naturel
- Eau
- Égout
- Chauffage
Principaux locataires Cliquez ici pour accéder à
- Locataire
- Secteur
- pi² Occupé
- Loyer/pi²
- Type de bail
- Fin du bail
- CustomLux Interiors LLC
- Fabrication
-
99,999 SF
- -
-
Lorem Ipsum
- -
Sempera Organics is a privately held company specializing in the cultivation and processing of organic mushrooms for use in nutraceutical, food, and beverage applications. Founded in 2020, the company operates a vertically integrated lab farm in Morgan Hill, California, where it produces standardized mushroom powders, extracts, and proprietary blends. Its operations emphasize sustainability and zero-waste practices, with a focus on delivering consistent quality and rapid fulfillment to global brands. Sempera Organics offers bulk ingredients for a range of applications, including capsules, gummies, and ready-to-mix beverages, and provides custom formulation and private-label services. The company adheres to cGMP standards and employs rigorous testing protocols to ensure product purity and potency. By combining advanced cultivation techniques with scalable production, Sempera Organics positions itself as a reliable partner for companies seeking high-quality functional mushroom ingredients.
| Locataire | Secteur | pi² Occupé | Loyer/pi² | Type de bail | Fin du bail | |
| CustomLux Interiors LLC | Fabrication | 99,999 SF | - | Lorem Ipsum | - | |
|
Agriculture, foresterie, pêche et chasse | 99,999 SF | - | Lorem Ipsum | Jan 0000 |
Disponibilité des espaces
- Espace
- Taille
- Utilisation de l’espace
- Aménagement
- Disponible
Gross Lease. See attached floor plan. Two 4,200 Sqft units can be leased separately or combined for 8,400 Sqft total. Each Unit has a dedicated 400 Amp 3 Phase Electrical Service.
| Espace | Taille | Utilisation de l’espace | Aménagement | Disponible |
| 1er étage | 4 200 à 8 400 pi² | Industriel | - | Mai 2026 |
1er étage
| Taille |
| 4 200 à 8 400 pi² |
| Utilisation de l’espace |
| Industriel |
| Aménagement |
| - |
| Disponible |
| Mai 2026 |
1er étage
| Taille | 4 200 à 8 400 pi² |
| Utilisation de l’espace | Industriel |
| Aménagement | - |
| Disponible | Mai 2026 |
Gross Lease. See attached floor plan. Two 4,200 Sqft units can be leased separately or combined for 8,400 Sqft total. Each Unit has a dedicated 400 Amp 3 Phase Electrical Service.
Données démographiques
Accessibilité régionale
Impôts fonciers
| Numéro de lot | 817-05-058 | Évaluation totale | 3 746 768 $ CAD (2025) |
| Évaluation du terrain | 719 048 $ CAD (2025) | Impôts annuels | (1 $) CAD (0,00 $ CAD/pi²) |
| Évaluation des bâtiments | 3 027 719 $ CAD (2025) | Année d’imposition | 2026 |
Impôts fonciers
Présenté par
16260 Church St
Hmm, il semble y avoir eu une erreur lors de l’envoi de votre message. Veuillez réessayer.
Merci! Votre message a été envoyé.

