Se Connecter/S’inscrire
Votre courriel a été envoyé.
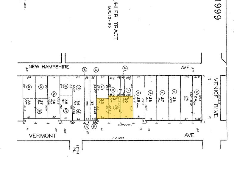
1637 S Vermont Ave
Los Angeles, CA 90006
Land for Apartment,Hotel,Shopping Center · Terrain À vendre
·
0,29 AC


Certaines informations ont été traduites automatiquement.
Résumé de l'annonce
Prime C2-2 Commercial Zoned vacant lot (12,750sf) with max building envelope of (57,461sf) 6 floor structure, located in a highly active and densely populated area of Los Angeles, offering a compelling opportunity for developing 71 units with MIIP (Mixed Income) or 93 units with AHIP (Affordable Housing) Incentinve Programs. C2 zoning in Los Angeles permits a wide range of uses, including retail, restaurants, offices, and is often favorable for mixed-use developments (commercial on the ground floor with residential units above) in urban corridors. Strategic Location as its situated along a busy stretch of Vermont Avenue between Venice Boulevard and Washington Boulevard. This location benefits from significant vehicular and pedestrian traffic. The area is directly influenced by the vibrant Koreatown communities and offers close proximity to Downtown Los Angeles, positioning it within a dynamic urban center experiencing continuous growth and demand for both commercial and residential space in a desirable location within an active and developing corridor.
Faits sur la propriété
1 Lot disponible
Lot
| Prix | 3 591 475 $ CAD | Taille du lot | 0,29 AC |
| Prix par AC | 12 384 397,56 $ CAD |
| Prix | 3 591 475 $ CAD |
| Prix par AC | 12 384 397,56 $ CAD |
| Taille du lot | 0,29 AC |
Prime C2-2 Commercial Zoned vacant lot 12,750sf 150 frontage
Impôts fonciers
| Numéro de lot | 5075-016-027 | Évaluation des bâtiments | 0 $ CAD |
| Évaluation du terrain | 2 889 046 $ CAD | Évaluation totale | 2 889 046 $ CAD |
Impôts fonciers
Numéro de lot
5075-016-027
Évaluation du terrain
2 889 046 $ CAD
Évaluation des bâtiments
0 $ CAD
Évaluation totale
2 889 046 $ CAD
1 de 10
Vidéos
Visite extérieure 3D Matterport
Visite 3D Matterport
Photos
Vue depuis la rue
Rue
Carte
