Se Connecter/S’inscrire
Votre courriel a été envoyé.
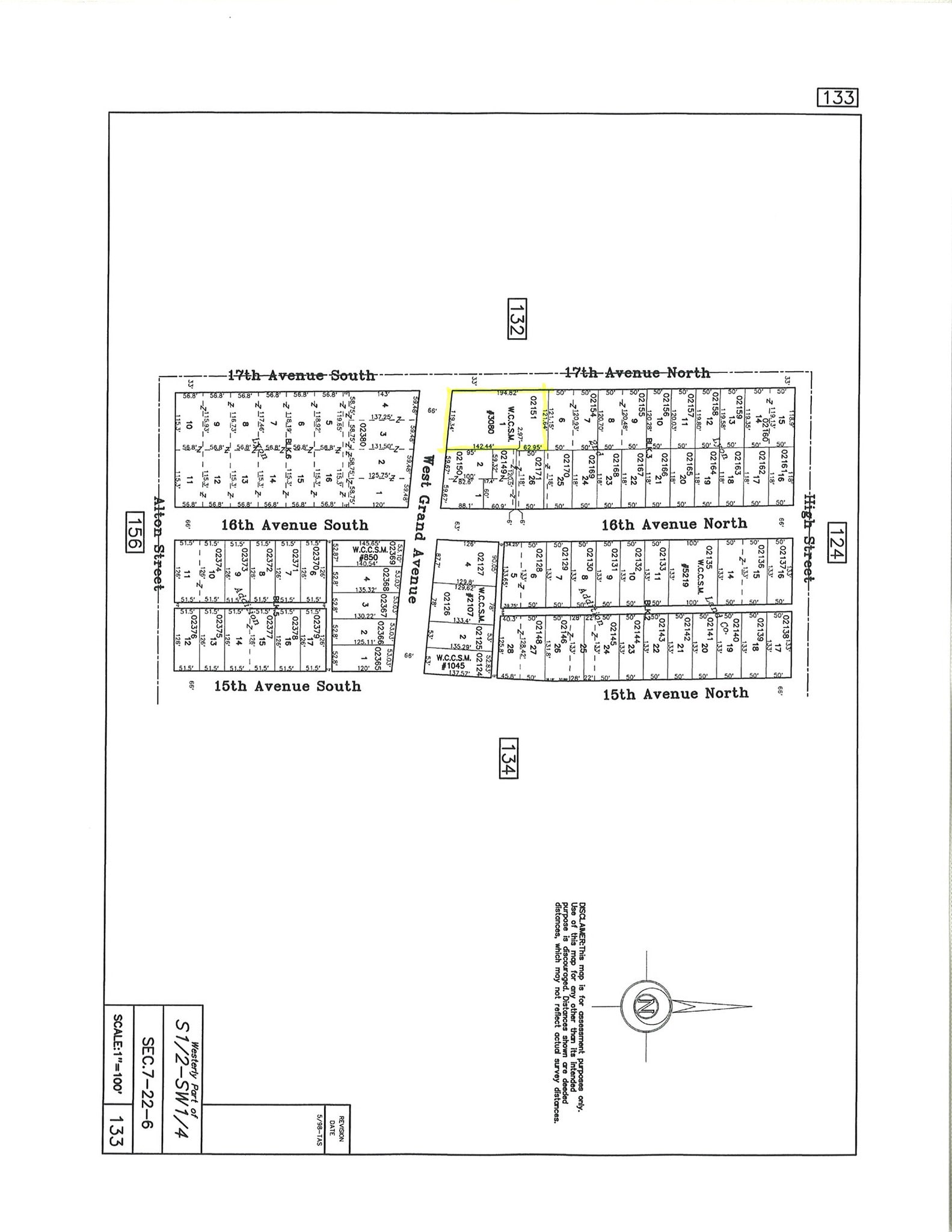
1640 W Grand Ave Lot • Terrain commercial • 0,47 Acres • 57 540 $ CAD • Wisconsin Rapids, WI 54495

Certaines informations ont été traduites automatiquement.
Faits saillants de l'investissement
- High-Exposure Lot
Résumé de l'annonce
Prime opportunity to secure a highly visible corner commercial lot in a growing area! With over 10,000 vehicles passing daily, this location offers exceptional exposure for your business. Surrounded by established local businesses, banks, schools, and a nearby fire station, this site is perfectly positioned for success. Commercial land in high-traffic areas is limited—don’t miss your chance to bring your vision to life before it’s gone!
Faits sur la propriété
1 Lot disponible
Lot
| Prix | 57 540 $ CAD | Taille du lot | 0,47 AC |
| Prix par AC | 122 425,53 $ CAD |
| Prix | 57 540 $ CAD |
| Prix par AC | 122 425,53 $ CAD |
| Taille du lot | 0,47 AC |
Prime opportunity to secure a highly visible corner commercial lot in a growing area! With over 10,000 vehicles passing daily, this location offers exceptional exposure for your business.
1 1
Plutôt praticable à pied
30/100
Exceptionnellement facile d’accès en voiture
100/100
Plutôt praticable en vélo
40/100
Impôts fonciers
| Numéro de lot | 34-02151 | Évaluation des bâtiments | 0 $ CAD |
| Évaluation du terrain | 49 551 $ CAD | Évaluation totale | 49 551 $ CAD |
Impôts fonciers
Numéro de lot
34-02151
Évaluation du terrain
49 551 $ CAD
Évaluation des bâtiments
0 $ CAD
Évaluation totale
49 551 $ CAD
1 de 2
Vidéos
Visite extérieure 3D Matterport
Visite 3D Matterport
Photos
Vue depuis la rue
Rue
Carte
1 de 1
Présenté par
1640 W Grand Ave
Vous êtes déjà membre? Connectez-vous
Hmm, il semble y avoir eu une erreur lors de l’envoi de votre message. Veuillez réessayer.
Merci! Votre message a été envoyé.
