Votre courriel a été envoyé.
1647 Highway 138 - Corner Site | Zoned Mixed Use | ± .75 Acres Lot • Terrain commercial • 0,75 Acres • 539 886 $ CAD • Jonesboro, GA 30236



Certaines informations ont été traduites automatiquement.
Faits saillants de l'investissement
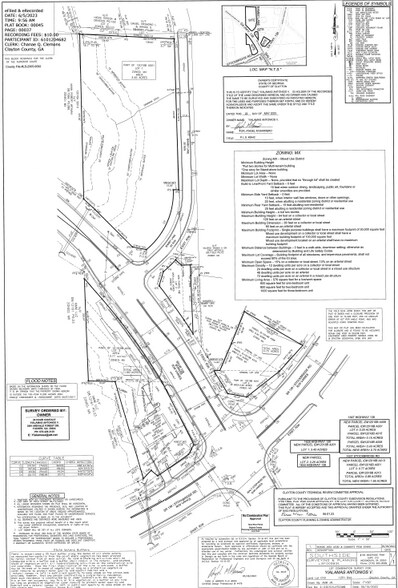
- Terrain d'angle, situé à une intersection achalandée de deux routes.
- Les conduites d'égout sont déjà en place, mais elles doivent être raccordées.
- Plusieurs coupes en bordure de trottoir sont intégrées pour un accès facile.
Résumé de l'annonce
Faits sur la propriété
1 Lot disponible
Lot
| Prix | 539 886 $ CAD | Taille du lot | 0,75 AC |
| Prix par AC | 719 847,97 $ CAD |
| Prix | 539 886 $ CAD |
| Prix par AC | 719 847,97 $ CAD |
| Taille du lot | 0,75 AC |
Il s'agit d'un terrain d'angle situé à l'intersection du chemin Stockbridge et de la route 138, avec une petite pente graduelle d'une superficie estimée de 0,8 acre. 12 milles de l'aéroport d'Atlanta et, à 4 milles jusqu'à la sortie 233 de la I-75 et à seulement 2,3 milles du boulevard Tara
Description
Visibilité fantastique et excellent emplacement. Cette propriété est située à l'intersection des chemins 138 et Walt Stephens. À quelques minutes du centre-ville de Jonesboro, de la route 54 et du boulevard Tara-blvd. La propriété a déjà fait l'objet de plusieurs coupes de bordure, en plus des tuyaux d'égout en place, mais elle doit être allumée. Il comprend un total de 0,75 Ac de terrain qui peut être aménagé pour de nombreux types d'entreprises, comme le commerce de détail, la restauration, etc.
Présenté par
1647 Highway 138 - Corner Site | Zoned Mixed Use | ± .75 Acres
Hmm, il semble y avoir eu une erreur lors de l’envoi de votre message. Veuillez réessayer.
Merci! Votre message a été envoyé.
